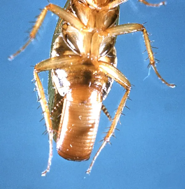
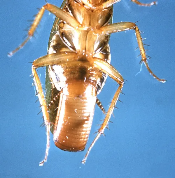
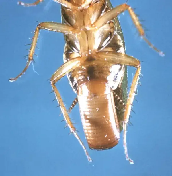
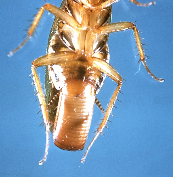
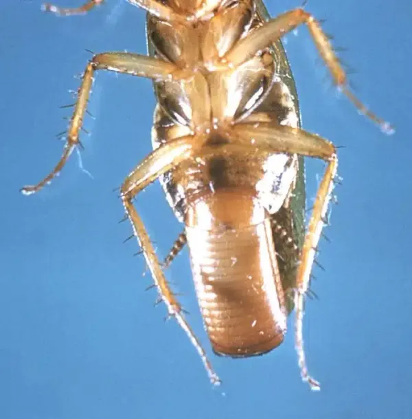
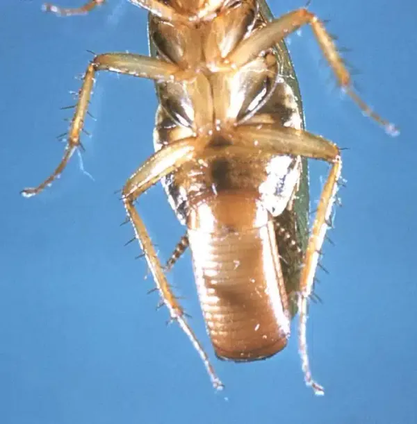
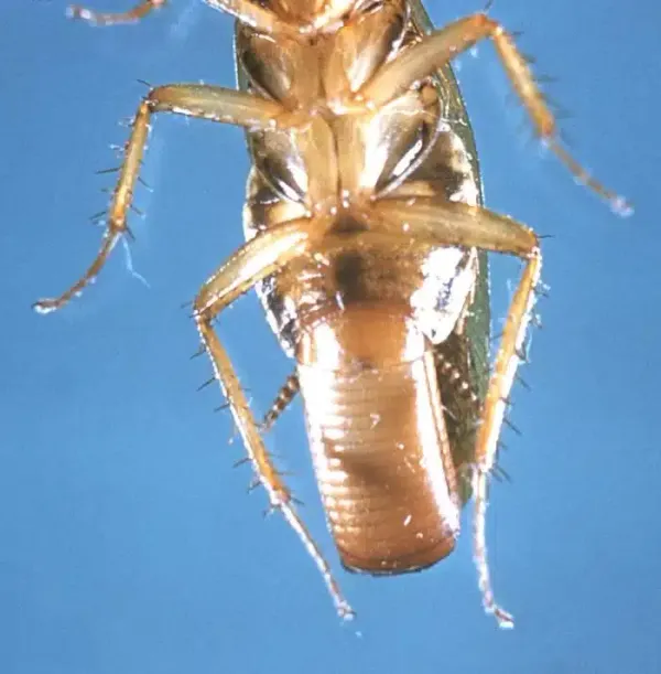
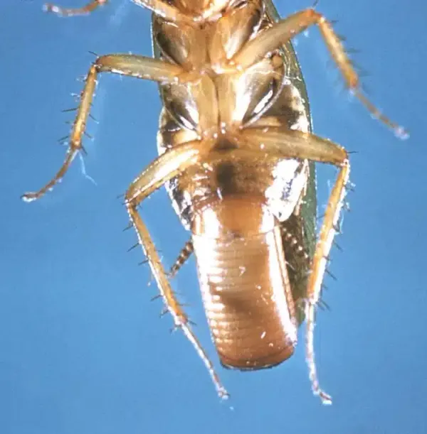
Can German Cockroaches Fly? The Truth About Their Wings
German cockroaches have wings but rarely fly. Learn why these pests prefer running, how to identify them, and what to do if you spot them in your home.
German cockroaches have wings but rarely fly. Learn why these pests prefer running, how to identify them, and what to do if you spot them in your home.
Found a dead cockroach? Learn what it means, whether you have an infestation, and what steps to take next from a licensed pest control professional.
Learn how to identify German cockroach eggs (ootheca), where they hide, and why eliminating them is critical for controlling infestations in your home.
Found a wood cockroach in your home? Learn how to identify these harmless outdoor insects and why they don't require pest control treatment.
Learn how to get rid of house centipedes with proven methods from a licensed technician. Discover why they invade and how to prevent them.
Can't tell Asian cockroaches from German cockroaches? Learn the key differences in behavior, habitat, and treatment from a licensed pest control expert.
Learn how to identify and eliminate brown banded cockroaches from your home. Expert tips on DIY methods and professional treatment options.
Learn how to get rid of German roaches with proven methods from pest control experts. Covers baits, IGRs, sanitation, and when to call a professional.
Discover ant season patterns in DC, Maryland & Virginia with Better Termite and Pest Control. Our guide helps you predict, prepare, and prevent ant invasions year-round.
Curious about carpenter ant eggs? Our expert guide reveals what they look like, where they're found, and their life cycle. Better Termite and Pest Control.
Not sure if it's a click beetle vs cockroach? Better Termite and Pest Control's comparison guide shows you how to tell these look-alikes apart easily.
Do fleas get in human hair? Better Termite and Pest Control explains when this happens, how to check for fleas, and effective removal methods for your peace of mind.
Bothered by small flying insects? Better Termite and Pest Control explains drain flies vs gnats - how to tell them apart and eliminate them effectively.
Struggling with ants? Compare fire ant vs carpenter ant traits with Better Termite and Pest Control's expert guide for DC, VA & MD homeowners.
Confused about flesh fly vs house fly identification? Better Termite and Pest Control breaks down their appearance, breeding habits, and control methods.
Confused about fungus gnats vs drain flies in your home? Better Termite and Pest Control's guide helps you identify and eliminate these pests fast.
Struggling with fungus gnats vs fruit flies? Better Termite and Pest Control shows Northern Virginia homeowners how to identify and eliminate both pests effectively.
Is that a ghost ant or sugar ant? Our comparison guide shows how to spot the difference and eliminate these tiny invaders. Better Termite and Pest Control can help!
Struggling with roaches? Learn to spot German roaches vs American roaches with Better Terminate and Pest Control's complete guide for Northern Virginia homeowners.
Discover gnat vs mosquito differences, from appearance to bites. Better Termite and Pest Control shares expert tips to keep your VA & MD yard pest-free.
Greenhouse camel crickets in your DMV basement? Better Termite and Pest Control's guide reveals why these Asian invaders love moisture and how to eliminate them.
Wondering about honeybee vs bumblebee differences? Better Termite and Pest Control explains how to identify each bee and their unique roles in your garden.
Discover what house centipede eggs look like, where they hide, and how to eliminate them with Better Termite and Pest Control's comprehensive guide.
Can't tell if it's a house spider vs wolf spider? Our visual guide shows key differences in size, eyes and behavior. Better Termite and Pest Control.
Ever wondered how fast do roaches multiply? One roach becomes thousands in weeks! Better Termite and Pest Control breaks down the math and why quick action matters.
Is pest control worth it? Better Termite and Pest Control analyzes professional vs DIY costs, damage prevention savings, and the value of tri-annual pest management (three times per year).
Struggling with merchant grain beetle problems? Better Termite and Pest Control explains how to spot, eliminate, and prevent these pantry pests that love chocolate and nuts.
Can't tell pantry moths vs clothes moths apart? Better Termite and Pest Control's DC guide explains their behavior, damage signs, and prevention techniques.
Can't tell a shield bug vs stink bug? Better Termite and Pest Control offers a simple guide to identify and manage these common pests in Virginia and Maryland homes.
Struggling with spiders in basement? Better Termite and Pest Control provides professional advice on identification, prevention, and effective removal techniques.
Can't tell stink bug vs bed bug apart? Better Termite and Pest Control's expert guide explains differences, bites, and treatment for VA/MD homes.
Compare subterranean termites vs drywood termites affecting Northern Virginia homes. Better Termite and Pest Control shows how to spot and treat both types.
Worried about a wasp nest in wall? Better Termite and Pest Control explains warning signs, risks of DIY removal, and professional elimination methods that work.
Worried about wasps in Maryland? Learn to identify species, prevent nests, and when to call Better Termite and Pest Control for removal.
Tired of ants in dishwasher? Better Termite and Pest Control's complete guide shows how to eliminate them, find entry points, and prevent future invasions.
Are the tiny red spiders dangerous? Better Termite and Pest Control explains what these creatures are, their potential risks, and effective removal techniques for your home.
Better Termite and Pest Control reveals how to identify bugs that look like ladybugs but aren't. Get expert tips to manage these imposters in your DC-area home.
Discover the truth: "do fleas live in human hair"? Better Termite and Pest Control explains flea habits, identification, and effective removal methods for peace of mind.
Elm leaf beetle entering your DMV home? Better Termite and Pest Control explains why they invade, how to identify them, and effective control methods for your peace of mind.
Finding fleas in hair can be distressing. Better Termite and Pest Control explains how to identify, treat, and prevent these troublesome pests with effective methods.
Tiny reddish-brown beetles in your home? Our expert guide to foreign grain beetle identification and control. Better Termite and Pest Control can help eliminate these pests.
Confused about German roach vs American roach? Better Termite and Pest Control explains how to identify them & why proper ID matters for treatment.
Confused about June bug vs Japanese beetle? Better Termite and Pest Control breaks down their appearance, habits, and impact on your garden. Control both now!
Tiny brown beetles in your flour or cereal? Better Termite and Pest Control explains how to identify and remove sawtoothed grain beetle infestations from your pantry.
Springtail vs flea confusion? Learn to identify these jumping pests, their habitats, and proper control methods with Better Termite and Pest Control.
Termite pellets signal trouble! Better Termite and Pest Control's identification guide helps DMV residents spot the warning signs of drywood infestations.
Spot tiny black bugs in bathroom? Our experts at Better Termite and Pest Control help identify drain flies, springtails, and other common bathroom pests.
Curious about what attracts silverfish? Learn how to keep these pests away with expert tips from Better Termite and Pest Control. Stop these insects for good!
What do cockroaches smell like? Better Termite and Pest Control reveals how to identify the distinct musty odor and find hidden infestations in your home.
Curious if crickets fly? Better Termite and Pest Control explains which types have wings, which don't, and how to effectively treat cricket problems.
Fall bugs are on the move as temperatures drop. Learn how to identify and control autumn pests with Better Termite and Pest Control's expert guide for DC, VA, and MD homes.
Wondering about kitchen insects similar to cockroaches? Discover how to identify, prevent, and eliminate them with Better Termite and Pest Control's expert advice.
Learn to identify what baby roaches look like and why their presence indicates a growing problem. Better Termite and Pest Control's visual guide explains.
Our step-by-step guide shows you how to get rid of palmetto bugs permanently. Better Termite and Pest Control experts share identification and treatment tips.
Stop tiny sugar ants from invading your home. Our expert guide covers identification, treatment, and prevention methods from Better Termite and Pest Control.
Sugar ants in kitchen driving you crazy? Better Termite and Pest Control's expert guide shows how to identify, eliminate & prevent them in DMV homes.
Wonder if that's a yellow jacket nest vs paper wasp nest? Better Termite and Pest Control explains key differences in appearance, size, and location to know for sure.
Can't tell if it's bed bug vs flea bites? Learn identification tips, breeding habits & effective treatments from Better Termite and Pest Control in VA/MD.
Can you spot carpenter ant vs black ant differences? Better Termite and Pest Control's guide helps Virginia & Maryland homeowners prevent costly wood damage.
Can't tell a cockroach vs beetle apart? Better Termite and Pest Control's expert guide helps Virginia-Maryland-DC residents identify and control these pests.
Wonder how long can roaches live without food? Up to a month! Better Termite and Pest Control reveals why this makes elimination challenging.
Mouse vs vole identification made simple. Discover the differences in appearance, behavior, and damage patterns with Better Termite and Pest Control's expert guide for homeowners.
Confused about yellow jacket vs paper wasp identification? Better Termite and Pest Control explains key differences and removal methods for Virginia & Maryland homes.
Learn if fleas can live in human hair and for how long. Better Termite and Pest Control provides expert insights on identification and removal methods in the DC, VA, and MD area.
Confused about cicada vs locust sounds and appearance? Better Termite and Pest Control explains their differences and how to manage them on your VA/MD property.
Earwig vs silverfish: Learn to identify these moisture-indicating pests with Better Termite and Pest Control's complete comparison of appearance and habits.
Confused about winged ants vs termites? Our expert guide shows key differences in body, wings, and behavior. Better Termite and Pest Control can help!
Hobo spider vs wolf spider: Learn to spot the differences in appearance, web patterns, and habitats with our expert identification guide by Better Termite and Pest Control.
Can't tell a moth vs butterfly? Better Termite and Pest Control's guide shows you how to identify them and which moths can damage your home and clothes.
Not sure about cellar spider vs daddy long legs? Better Termite and Pest Control explains why one is a true spider while the other isn't, plus other key differences.
Can you spot the crane fly vs mosquito difference? Better Termite and Pest Control explains why 'mosquito hawks' don't actually eat mosquitoes and which one needs control.
Can't tell a cricket vs grasshopper apart? Better Termite and Pest Control explains their differences and how to handle infestations in your home.
Confused about drain flies vs fruit flies? Better Termite and Pest Control explains how to identify each pest and the specific methods to eliminate them for good.
Looking to identify gnats vs fruit flies? Better Termite and Pest Control explains their differences in appearance, breeding locations, and proven elimination methods.
Discover the key differences between hobo spider vs brown recluse with Better Termite and Pest Control's expert guide to markings, habitats and bites.
Confused about mud dauber vs wasp identification? Better Termite and Pest Control's guide explains their behavior, nests, and why you might want to keep one around.
Wondering if it's a wasp vs bee in your yard? Better Termite and Pest Control explains how to identify them and when removal is needed in VA & MD.
Wood roach vs cockroach: One is harmless, one needs treatment. Better Termite and Pest Control's expert guide helps you tell them apart and know when to call us.
Worried about carpenter bee damage? Better Termite and Pest Control shows you how to assess, prevent, and repair wood destruction before it gets worse. Protect your home now.
Learn why palmetto bug vs cockroach isn't a true comparison - they're the same pest! Better Termite and Pest Control explains this regional nickname and how to control them.
Need to know how to get rid of springtails? Better Termite and Pest Control offers expert tips to identify and permanently remove these tiny pests from your home.
Concerned about spiders in Maryland? Our guide helps identify local species, understand their habits, and keep them out with Better Termite and Pest Control.
Discover what carpenter bee holes look like, where to find them, and how to effectively treat them. Get expert carpenter bee solutions from Better Termite and Pest Control.
Spot tiny red bugs? Learn how to identify and remove clover mites in house infestations with Better Termite and Pest Control's expert prevention guide.
Our DC guide reveals how to identify ladybugs vs Asian lady beetles. Better Termite and Pest Control explains fall invasions and management options.
Spot the difference between brown recluse vs wolf spider with our expert ID guide for Northern VA homes. Brown recluse sightings are rare in our region | Better Termite and Pest Control
Tiny hackberry psyllids invading your DC area home? Better Termite and Pest Control shares identification tips and removal solutions for these annoying fall pests.
Wood roaches vs German roaches? Better Termite and Pest Control explains how to identify both types and why one is less concerning in your Northern Virginia home.
Wondering about bumblebee vs carpenter bee differences? Learn to identify these insects, understand which one actually damages wooden structures, and how Better Termite and Pest Control helps.
Wondering "how do I get rid of rats in my house"? Better Termite and Pest Control offers proven methods to remove rats and protect your family's health. Expert solutions await!
Struggling with water bugs? Our comprehensive guide explains identification and proven elimination methods. Better Termite and Pest Control can help.
Wondering what a baby German cockroach looks like? Better Termite and Pest Control explains identification, treatment methods, and expected removal costs.
Wonder if you have fire ants vs red ants? Better Termite and Pest Control explains how to tell them apart and the best ways to get rid of them.
Learn about the cricket life cycle, how to identify different types, and effective control methods from Better Termite and Pest Control's expert technicians.
View a clear picture of a tick to help you identify these pests. Better Termite and Pest Control offers expert tips for tick treatment and prevention.
Looking for silverfish control that works? Better Termite and Pest Control shares expert strategies to eliminate these pests permanently from your home.
Wondering what silverfish larvae look like? Better Termite and Pest Control explains how to identify them early and prevent a full-blown infestation in your home.
Can't tell silverfish vs centipede apart? Our pest experts explain key differences in habits, appearance and threats. Better Termite and Pest Control.
Find out what does a tick look like and how to spot tick bites. Better Termite and Pest Control's expert guide helps protect your family from these harmful pests.
Confused about wolf spider vs brown recluse? Better Termite and Pest Control explains key differences and effective removal methods for your home.
Struggling with ants in the kitchen? Better Termite and Pest Control explains their appearance, the risks they bring, and how to eliminate them for good.
Discover the most effective earwig traps for your home. Better Termite and Pest Control's expert guide includes identification tips and treatment strategies.
Struggling with earwigs? Learn how to kill earwigs and prevent them from returning with proven methods from Better Termite and Pest Control's expert team.
Worried you have bed bugs? See real pictures of bed bugs and learn how to identify bites and signs with Better Termite and Pest Control's expert visual guide.
Identify creepy crawlers with our spider names guide. Learn scientific and common terms for species in DC, VA & MD from Better Termite and Pest Control.
Wondering why are stink bugs called stink bugs? Better Termite and Pest Control explains their odor and potential household problems they cause.
Wondering about that ant hill in your yard? Better Termite and Pest Control explains what it is, why it's there, and how to get rid of it fast.
Learn to identify concrete mites and discover proven treatment methods with Better Termite and Pest Control's comprehensive guide for concerned homeowners.
Looking for pantry moth eggs pictures? Our guide shows what they look like and how to get rid of these kitchen pests. Better Termite and Pest Control can help.
Spot small red spiders at home? Better Termite and Pest Control explains what they are, why they appear, and the best ways to eliminate them for good.
Wondering about those tiny brown bugs in bathroom? Better Termite and Pest Control experts can identify and eliminate these unwanted pests for good.
Discover why DIY wasp nest removal often fails & how Better Termite and Pest Control experts stop wasps from returning with proven treatment methods.
Wondering when do ants come out? Learn ant seasonality patterns and effective treatment options from Better Termite and Pest Control in the DC area.
Find out when do yellow jackets come out, how to identify these aggressive pests, and effective treatment options from Better Termite and Pest Control.
Earwigs in house giving you trouble? Better Termite and Pest Control explains what attracts them, how to remove them, and prevent them from returning.
Learn how to keep ants away with pro techniques that outperform DIY methods. Better Termite and Pest Control's expert guide for Virginia & Maryland homes.
Discover how to tell horse fly vs house fly apart with clear identification tips from Better Termite and Pest Control. Know which pest is buzzing around you.
Keep finding earwigs inside? Learn how do earwigs get in your house and proven solutions from Better Termite and Pest Control to keep these pests out permanently.
Learn how to get rid of pantry moths with Better Termite and Pest Control's complete guide. Identify, treat, and prevent these common kitchen pests from returning.
Big roaches invading your Virginia home? Better Termite and Pest Control helps you identify American cockroaches and other large species with proven elimination strategies.
Curious about the boxelder bug life cycle? Discover how these seasonal pests develop and how to effectively control them with Better Termite and Pest Control's expert guide.
Struggling with boxelder bugs? Learn how to get rid of boxelder bugs with Better Termite and Pest Control's expert identification and treatment guide.
Tired of boxelder bugs? Discover how to kill boxelder bugs and prevent reinfestation with Better Termite and Pest Control's expert advice for DC, VA and MD homes.
Wondering, "are boxelder bugs harmful?" Better Termite and Pest Control explains what these pests do and how to get rid of them effectively in your DC, VA, or MD home.
What are the tiny red bugs invading your windows? Better Termite and Pest Control helps identify these clover mites and provides effective elimination tips.
Baby roaches in your home? Learn how to spot these cockroach nymphs and why immediate action matters. Complete guide by Better Termite and Pest Control.
Better Termite breaks down pest control costs nationwide. Compare 2025 prices for mosquito, termite & rodent services in this helpful pricing guide.
Struggling with eight-legged invaders? Learn how to get rid of spiders in house with our expert DC metro area guide. Identify and remove spiders for good.
Learn how to get rid of spiders in your Virginia or Maryland home with tips from Better Termite. Learn how to identify and treat.