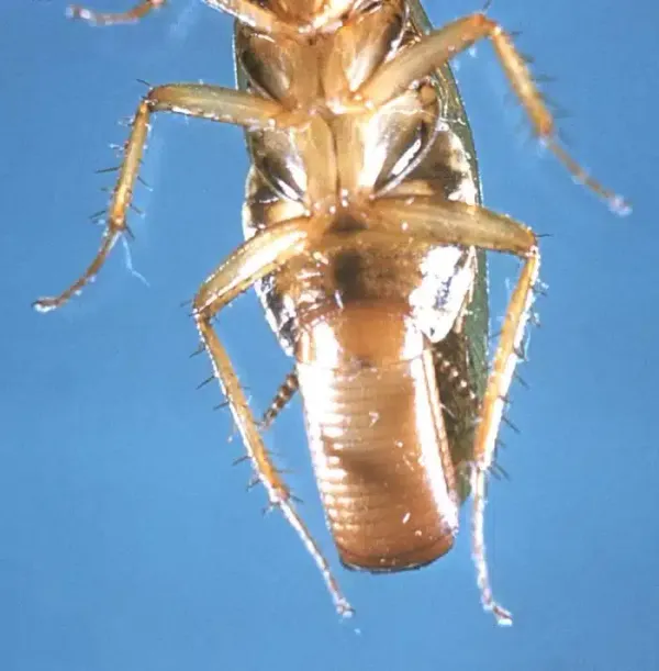
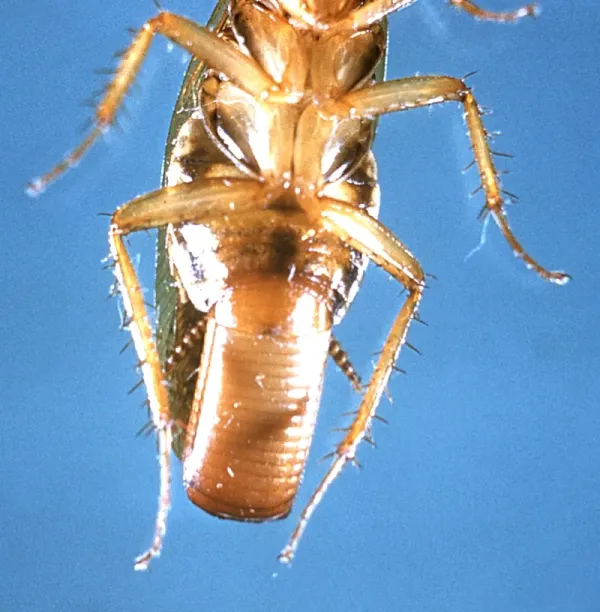
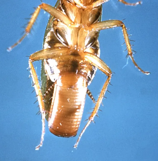
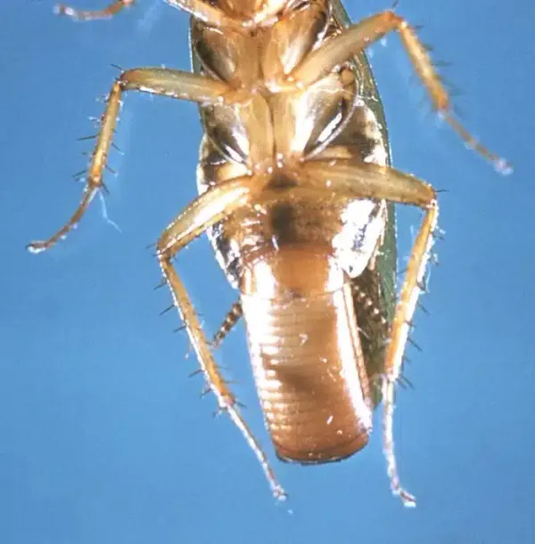
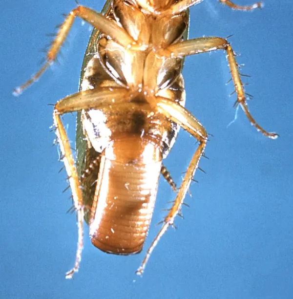
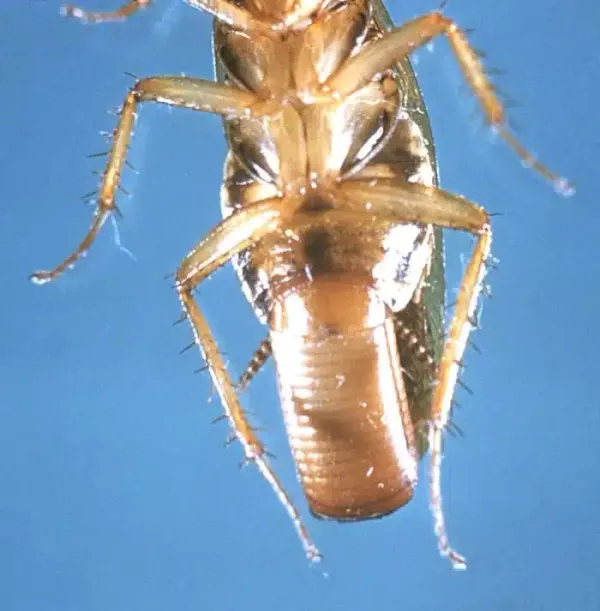
Can German Cockroaches Fly? Why They Have Wings but Don't Use Them
German cockroaches have wings but rarely fly. Learn why these pests prefer running, how to identify them, and what to do if you find them at home.
German cockroaches have wings but rarely fly. Learn why these pests prefer running, how to identify them, and what to do if you find them at home.
Found a dead cockroach? Learn what it means, whether you have an infestation, and what steps to take next. Expert advice from a pest control pro.
Identify German cockroach eggs (ootheca), learn where they hide, and why eliminating them is critical for stopping roach infestations. Read our guide.
Learn how long cockroaches live by species. German roaches live 100-200 days while American roaches can survive up to 2 years. Expert pest control tips.
What attracts cockroaches to your home? Discover 7 common causes including food, moisture, and clutter, plus expert tips from licensed technicians.
Found a wood cockroach? Learn how to identify these outdoor insects, why they wander indoors, and when pest control is needed. Expert tips inside.
Learn how to identify and eliminate brown banded cockroaches from your home. Expert tips on DIY methods, professional treatment, and prevention.
Get rid of oriental cockroaches with step-by-step methods from licensed technicians. Proven DIY tips plus when to call a professional for fast results.
How fast do roaches multiply? One roach becomes thousands in weeks. Learn the math behind roach reproduction and why quick action is critical.
What bug looks like a cockroach? Identify beetles, water bugs, and other roach look-alikes with our expert photo guide. Learn the key differences.
Bugs that look like roaches? Compare 8 common look-alikes with photos. Learn to tell beetles, crickets, and other insects apart from real cockroaches.
What do cockroaches smell like? Learn to recognize the distinct musty, oily odor that signals a roach infestation and where to check for hidden pests.
Kitchen insects similar to cockroaches? Identify beetles, crickets, and other roach look-alikes found in kitchens. Learn which ones need pest control.
What do baby roaches look like? Spot cockroach nymphs early with our visual guide. Their presence signals a growing infestation -- act now.
Step-by-step guide to get rid of palmetto bugs for good. Learn to identify these roaches and discover proven treatment methods that work fast.
Cockroach vs beetle -- which pest is in your home? Learn to tell them apart by shape, behavior, and habitat. Expert identification tips inside.
How long can roaches live without food? Up to a month! Discover why this makes DIY elimination so challenging and what actually works.
Water bug vs cockroach -- discover the real differences in size, habitat, and behavior. Learn why most so-called water bugs are actually cockroaches.
Wood roach vs cockroach -- one is harmless, one needs treatment. Learn how to tell them apart and when professional pest control is needed.
Wood roaches vs German roaches? Learn to identify both types, which one requires treatment, and why one is far less concerning in your home.
Struggling with water bugs? Discover how to identify these pests and eliminate them fast. Expert tips on prevention and proven removal methods.
Spotted a baby German cockroach? Learn what they look like, why they signal a serious infestation, and proven removal methods. Get expert help.
Spotted a flying cockroach? Learn which roach species fly, why they enter your home, and proven methods to eliminate them. Expert pest control tips inside.
Big roaches in your Virginia home? Learn to identify American cockroaches and other large species. Expert tips on proven elimination strategies.
Baby roach in your home? Learn to identify cockroach nymphs by species, what their presence signals, and why immediate action prevents infestations.
What does a cockroach smell like? Learn to detect the musty oily odor of a roach infestation and discover the exact steps to take when you notice it.
Wondering why you have roaches in your house? Learn the 7 main causes of cockroach infestations and how to prevent them from a licensed pest technician.