When you spot a roach in your home, the first question is whether you’re looking at a serious problem or just a lost bug. The difference between wood roaches and German roaches can mean the difference between a minor annoyance and a major issue that needs professional help.
In my four years as a registered technician, I’ve seen many homeowners panic over a single roach. Our family business has served the DMV area for over 50 years, and we’ve learned that knowing which roach you have changes everything about what you should do next.
Here’s the quick breakdown of what sets these two apart.
Wood roaches are outdoor insects that sometimes wander inside. They’re drawn to lights, die within 72 hours indoors, and pose no health risks.
German roaches are indoor pests that thrive in heated homes, breed fast, and spread disease. They avoid light, hide in kitchens and bathrooms, and need professional treatment.
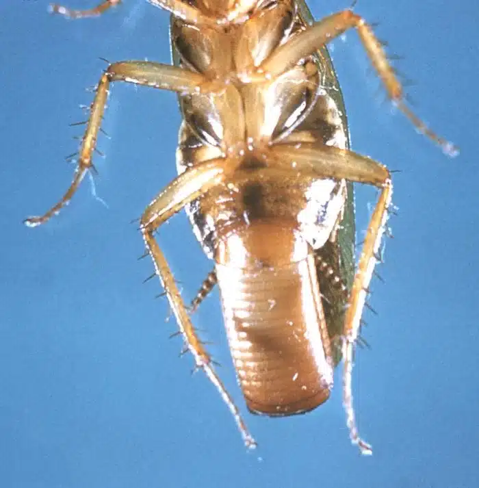
How to Tell Them Apart
Look and Color
Wood roach males are chestnut-brown with clear wings that have pale edges. No stripes on their backs. Females are shorter with stubby, non-working wings.
German roaches are light brown with two dark stripes running down their backs. Both males and females have wings but rarely fly. Those twin stripes are the clearest giveaway. Learn more about German roaches.
Size
Most wood roaches are 12-25 mm long. Males are longer and thinner with fully grown wings. German roaches are a bit smaller at 13-16 mm with a compact, oval body built for squeezing into tight cracks.
Flight
Male wood roaches are decent fliers and will fly toward porch lights during mating season. Female wood roaches can’t fly. German roaches have wings but almost never fly. They rely on speed instead, darting into dark hiding spots. If you see a roach flying toward your porch light, it’s a wood roach.
Where Each One Lives
Wood roaches live outside in natural settings. You’ll find them in leaf litter, under loose bark, in rotting logs, and around woodpiles. They also like clogged gutters full of wet leaves and damp garden sheds.
They’re nature’s cleanup crew, breaking down organic matter in forests. According to Virginia Tech Extension, wood roaches need high moisture levels that don’t exist inside most homes.
German roaches have adapted to live in heated homes. They hide in warm, humid spots like behind kitchen appliances, inside bathroom cabinets, and around plumbing fixtures.
They cluster in tight spaces near water: dishwasher insulation, fridge motors, and gaps behind water heaters. While oriental roaches prefer basements, German roaches want to be right where the food and warmth are.
These photos help you see the visual differences between the two types.
Light Response
The way wood roaches and German roaches react to light is opposite.
Wood roach males fly straight toward porch lights, landscape lighting, and lit windows during their spring mating flights. This is why homeowners suddenly find them near second-story windows or under outdoor lights.
German roaches actively avoid light. When you flip on a kitchen light at night and see roaches running for cover, those are German roaches. They hide all day and only come out in the dark.
Breeding: Why It Matters
This is where the two species are most different.
Wood roaches have a slow, seasonal cycle. Females drop egg cases outdoors in summer, each holding about 30-32 eggs. Nymphs take 12-24 months to grow up. They barely manage one generation per year.
German roaches breed at an alarming rate. A single female can produce 4-8 egg cases with 30-48 eggs each. The whole life cycle takes only about 100 days. They can produce multiple generations per year. One female can lead to over 10,000 descendants in a year under ideal conditions.
Risk Level
Wood roaches simply can’t survive indoors. They dry out too fast and usually die within 72 hours. Since they can’t breed inside, there’s no risk of a colony forming. When you find them, they’re usually wandering in the open because they’re already dying.
German roaches thrive indoors and pose real health risks. They spread germs like salmonella and E. coli through their droppings. Their allergens trigger asthma attacks and allergic reactions, especially in children. Once set up, populations can reach thousands.
When dealing with big roaches in Virginia, size isn’t the main worry. It’s whether the species can set up shop inside your home.
Seasonal Timing
Wood roach activity spikes during mating flights in May and June, with smaller waves in September and October. In winter, nymphs go dormant outdoors, so you won’t see any inside.
German roach activity stays steady year-round in heated homes. Populations grow fastest in summer, especially in buildings without AC. Any winter sighting indoors means you have an active colony.
What Finding Each One Means
Finding a wood roach indoors usually points to nearby outdoor sources: stored firewood, leaf-filled gutters, or wooded areas close to your foundation. It’s a lost bug that will die on its own. No treatment is usually needed beyond fixing the outdoor source.
Finding a German roach inside signals an active, breeding colony that needs pro help right away. Seeing even one during daylight hours suggests the hidden spots are overcrowded. Baby German cockroaches confirm that breeding is happening inside your home.
How Each Gets In
Wood roaches get carried inside on firewood or fly through large gaps toward indoor lights. During spring mating flights, males fly at lit windows and sometimes find a way in.
German roaches are hitchhikers. They hide in grocery bags, cardboard boxes, and used appliances. In apartments, they travel through shared plumbing and electrical chases. They actively seek food and warm hiding spots.
Prevention
For wood roaches:
- Store firewood at least 20 feet from your home
- Use yellow or sodium vapor outdoor lighting in spring
- Seal large gaps around foundations and utilities
- Keep gutters clear of wet leaves
- Trim plants away from exterior walls
For German roaches:
- Keep kitchens spotless, especially behind appliances
- Fix water leaks right away, particularly under sinks
- Seal cracks with caulk in bathrooms and kitchens
- Check grocery bags and boxes before bringing them in
- Remove pet food, crumbs, and grease buildup
Here’s one more trick that helps tell them apart.
If you’re still not sure which roach you have, we can help.
Treatment
Treatment for wood roaches and German roaches is totally different.
Wood roach control focuses on sealing and outdoor fixes. Adjusting outdoor lights, moving firewood, and closing large entry points usually takes care of it. They can’t breed indoors, so interior treatments aren’t needed.
German roach control takes systematic crack-and-crevice treatments with non-repellent products and growth regulators. Our techs focus on kitchens and bathrooms where these roaches hide during the day.
We set up bait stations and monitoring to track progress. Expect 3-6 months for full elimination because colonies can be very large by the time you notice them. Boric acid has limits, especially for bigger infestations that need professional-grade products.
Knowing which roach you have helps you make the right call. Wood roaches rarely need a pro. German roaches almost always do.
If you need help identifying roaches in your home, call us at 703-683-2000 or email info@bettertermite.com. We’ll tell you exactly what you’re dealing with and what to do about it.

