Finding German cockroach eggs in your home is a big deal. These egg cases mean roaches are breeding nearby. Just one missed egg case can release 30 to 40 baby roaches in weeks.
German, Oriental, and American roaches are all common in the DC metro area. German cockroaches breed faster than any other indoor species, though. That makes their eggs a key target. In my five years as a licensed pest control tech, I’ve seen that missed egg cases are the top reason DIY treatments fail.
What Are German Cockroach Eggs?
German cockroach eggs sit inside a hard shell called an ootheca. Most bugs lay one egg at a time. German cockroaches are different. Females make tough cases that hold many eggs at once.
The University of Florida Extension says each ootheca holds 30 to 40 eggs in two rows. The case keeps them safe from predators, dry air, and most sprays.
These roaches are so hard to deal with because of how they carry their eggs. Females keep the ootheca on their body until just 24 to 48 hours before hatching. This means fewer egg cases end up where you can find and destroy them.
Not sure what type of roach you’re dealing with? Upload a photo and our AI tool will help you identify it.
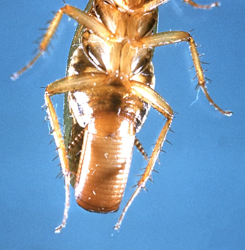
What Do German Cockroach Eggs Look Like?
Knowing what German cockroach egg cases look like helps you find them fast.
Size and Shape
German cockroach egg cases are about 1/4 inch (6 to 8mm) long and 3mm wide. Think of a grain of rice shaped like a tiny purse.
The case has a hard ridge on one side called the keel. This ridge has a seam where baby roaches come out. Up close, you can see lines running across the surface.
Color Changes as They Grow
Fresh egg cases are light brown or tan and slightly clear. As the eggs grow, the case turns darker.
NC State Extension says you can spot egg cases close to hatching by a blue-green line showing through the shell. This means the baby roaches’ eyes are almost formed. They will hatch in 1 to 2 days.
German Cockroach Eggs vs Other Species
Different roach species make very different egg cases:
- German cockroach: Light brown, 1/4 inch, carried until near hatching, 30 to 40 eggs
- American cockroach: Dark brown to black, 3/8 inch, glued in place, 14 to 16 eggs
- Oriental cockroach: Dark red-brown, 3/8 inch, dropped in debris, 16 eggs
The best way to tell German cockroach eggs apart is by their lighter color and smaller size. You rarely find them out in the open because females carry them.
Where German Cockroaches Hide Their Eggs
Females carry their egg cases for most of the development time. They set them down only a day or two before hatching. So any egg case you find has either just hatched or is about to.
Kitchen Hiding Spots
The kitchen is where egg cases show up most. These spots give the warmth, moisture, and food that growing roaches need:
- Behind and under fridges (the motor area is warm)
- Inside cabinet hinges and door frames
- Under sinks near pipes
- Inside drawer slides and gaps behind drawers
- Behind outlet covers and switch plates
- Inside appliance motors (dishwashers, microwaves, coffee makers)
Bathroom Hiding Spots
Bathrooms have the moisture that roach eggs need to grow:
- Under bathroom sinks near pipes
- Behind toilets near the floor
- Inside medicine cabinet hinges
- Around gaps where pipes go through walls
Other Problem Areas
- Inside cardboard boxes (mainly those kept in pantries)
- Behind baseboards and crown molding
- Inside electronics that give off heat
- In furniture joints near food areas
In any room, German cockroaches pick tight, dark cracks close to food and water. A good flashlight and some patience are your best tools for finding egg cases.
If you’re finding egg cases or seeing baby roaches, the problem is already growing. The sooner you act, the easier it is to stop.
The German Cockroach Egg Lifecycle
Knowing the egg lifecycle helps you time your treatments and set real goals.
How They Grow
The path from egg to hatching follows a set pattern. Learn more in our pest library.
Female makes the ootheca over 1 to 2 days.
Female carries the ootheca on her body for about 26 to 28 days.
Female sets the case down 24 to 48 hours before hatching.
30 to 40 white baby roaches (nymphs) come out of the cracked ootheca.
For more on roach look-alikes, read our guide on what bug looks like a cockroach or ground beetle vs cockroach.
Oklahoma State University Extension says the full development time is about 28 days. It can range from 14 to 35 days. Temps above 77F speed things up a lot.
Why German Cockroaches Multiply So Fast
German cockroaches breed faster than any other common roach. Here’s why:
- More eggs per case: 30 to 40 eggs vs. 14 to 16 for American roaches
- More cases per female: 5 to 8 egg cases in her lifetime (200 to 250 total eggs)
- Faster growth: Egg to adult in 50 to 60 days in warm conditions
- Many generations: 3 to 4 generations per year indoors
One female German cockroach can produce over 30,000 offspring in one year if you count her daughters also breeding. Small problems become big ones in just a few months.
In our 57+ years serving the DC metro area, we’ve seen that waiting even a few weeks leads to much bigger numbers and longer treatments.
Why German Cockroach Eggs Are Hard to Kill
The German cockroach egg case evolved to shield growing embryos from threats. Sprays often can’t get through the shell. This is why pro treatment takes more than one visit.
The Hard Shell Problem
The egg case has a tough shell that blocks most sprays. This means:
- Sprays may kill adults but leave eggs alive
- Fog bombs can’t reach eggs in tight spots
- One treatment rarely gets rid of the whole problem
Timing Treatment Around Egg Hatching
Since eggs are shielded, you need a steady plan. NC State Extension says to treat every 7 to 10 days. This catches baby roaches after they hatch and before they can breed.
How to Find German Cockroach Eggs in Your Home
Finding egg cases takes a close look at the spots where roaches like to hide.
Inspection Checklist
- Pull out appliances: Move the fridge, stove, and dishwasher to check behind and under them
- Empty cabinets: Take items out and check hinges, corners, and shelf supports
- Use a flashlight: Egg cases are small and blend in with wood tones
- Check cracks: Look at gaps around pipes, outlets, and baseboards
- Check cardboard: Look inside and behind any cardboard boxes
Signs That Eggs Are Present
Even if you don’t find whole egg cases, these signs point to recent hatching:
- Empty egg cases: Brown, flat cases with split seams
- Shed skins: Tiny, clear shells left behind by baby roaches
- Very small roaches: Dark, 3mm roaches mean recent hatching
- Droppings: Pepper-like spots near hiding areas
If you’re seeing baby German cockroaches, eggs hatched nearby. Focus treatment in that area.
How to Get Rid of German Cockroach Eggs
To get rid of German cockroach eggs, you need a plan that targets both the eggs and the roaches laying them.
Remove Egg Cases
- Use a vacuum with a HEPA filter to pick up eggs and debris
- Seal vacuum contents in a plastic bag right away and throw them out
- Scrape glued egg cases off surfaces with a stiff brush
- Clean the area well after removal
Deep Clean
- Remove food sources: Store all food in sealed bins. Clean crumbs right away.
- Fix moisture issues: Repair leaky pipes. Use a dehumidifier. Improve airflow.
- Cut clutter: Get rid of cardboard boxes and paper that give roaches places to hide.
- Seal entry points: Caulk gaps around pipes and wall openings.
Apply Treatments
Gel Baits: Put pea-sized dots every 8 to 12 inches in hiding areas. Roaches eat the bait, die slowly, and spread it to others.
Growth Regulators (IGRs): These stop baby roaches from growing into adults that can breed. They don’t kill eggs but they break the cycle.
Dust Treatments: Boric acid and diatomaceous earth damage the roach’s outer shell. This causes them to dry out. Apply light dustings in wall gaps and behind items.
Follow Up
Keep treating for 8 to 12 weeks. New baby roaches will keep hatching from egg cases. You must catch them before they lay new eggs. Check baits and reapply as needed.
For more DIY tips, see our full guide on how to get rid of German roaches.
Professional Treatment for German Cockroach Eggs
Bad infestations or failed DIY efforts often need a pro. Here is what to expect.
What Professional Treatment Includes
Our team at Better Termite & Pest Control follows a thorough plan:
- Full check: We find all hiding spots and see how bad the problem is.
- Trap setup: We place sticky traps to track roach numbers.
- Targeted sprays and baits: We apply pro-grade products in cracks and gaps.
- Growth regulators: We break the breeding cycle to stop new eggs.
- Follow-up visits: We come back every 2 to 3 weeks until the roaches are gone.
Treatment Timeline
Based on research from Rutgers University, here is what to expect:
- 5 to 14 days: You will start to see fewer roaches.
- 30 to 60 days: Full removal of set-in problems.
- Multiple visits: 2 to 4 treatment visits for most cases.
Big or long-running problems in apartment buildings may need longer treatment with visits three times a year.
Cost of Professional German Cockroach Treatment
Costs in the Northern Virginia, Maryland, and DC area usually range from:
- Apartment or small home: $100 to $250 for the first treatment
- Standard home (1,500 to 2,500 sq ft): $250 to $350 first visit plus follow-ups
- Bad infestations: $500 to $1,500+ based on the scope
For full pricing details, visit our exterminator cost guide.
Preventing German Cockroach Eggs in Your Home
Stopping roaches before they move in is much easier than getting rid of them. These steps help keep them out of your home.
Keep It Clean
- Clean dishes right after meals. Never leave them out overnight
- Wipe down counters and stovetops every day
- Store pet food in sealed containers and pick up bowls at night
- Take garbage out often and use cans with tight lids
- Clean under and behind appliances each month
Seal Them Out
- Seal gaps around pipes with caulk or steel wool
- Install door sweeps on outside doors
- Fix torn window screens
- Fix leaks right away to remove moisture
- Keep humidity below 50% with dehumidifiers
Stay Watchful
- Put sticky traps in key areas to catch early signs
- Check grocery bags, boxes, and used appliances before bringing them inside
- Look behind appliances a few times a year for signs of roaches or egg cases
For year-round protection, ask about our SeasonGuard+ program. It covers German cockroaches and 34 other common pests with three treatments per year.
When to Call a Professional
Small problems can sometimes be handled on your own. But some cases need a pro:
- More than one room: Roaches in many rooms means a bigger problem.
- DIY isn’t working: No progress after 6 to 8 weeks of steady effort.
- Apartment or townhome: Shared walls let roaches come back from next door.
- Health concerns: People with asthma or allergies need faster results.
- They keep coming back: Roaches return after you thought they were gone.
Our family has helped DC metro area homeowners get rid of German cockroaches for over 57 years. With 300+ years of combined team know-how and over 1,000 five-star reviews, we know the ins and outs of roach control in Virginia, Maryland, and DC homes.
If you are finding roach eggs or seeing signs of a problem, call us at 703-683-2000 or email info@bettertermite.com. Early treatment stops small problems from turning into big ones.

