Finding small, dark bugs running across your kitchen counter is alarming. When you spot a baby German cockroach, you’re dealing with a growing problem that needs fast action. These tiny nymphs mean adults have been breeding in your home for weeks or months.
After four years in pest control and helping thousands of DMV customers identify roach species, I’ve seen how fast these populations grow when left alone.
What Baby German Cockroaches Are
A baby German cockroach is the nymph stage of Blattella germanica, the most common indoor roach worldwide. They go through several molts before becoming adults.
Unlike most other roach species, baby German cockroaches can’t survive outdoors in cold climates like ours. They depend on warm, humid indoor spaces. This is what makes them such a stubborn problem once they move in.
The full cycle from egg to adult takes about 54 to 100 days at normal room temps (75 to 85°F). Warmer spots speed things up. That’s why German roaches do so well near water heaters and appliances.
How to Identify Baby German Cockroaches
Size and Color
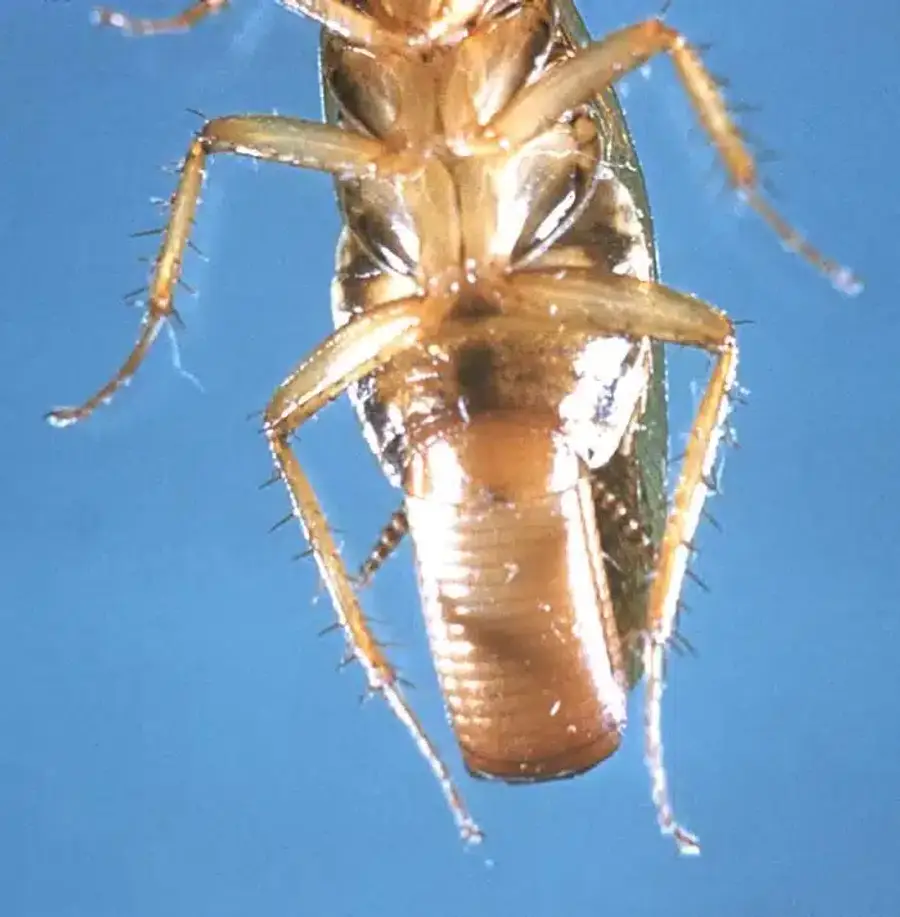
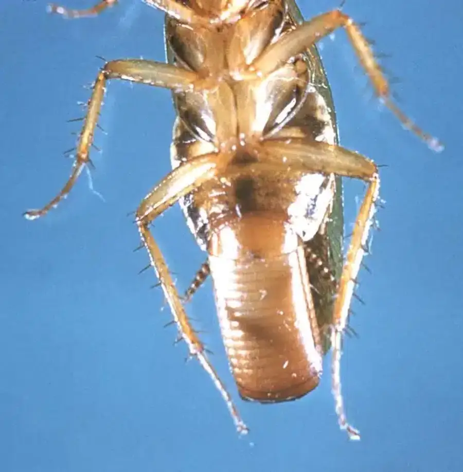
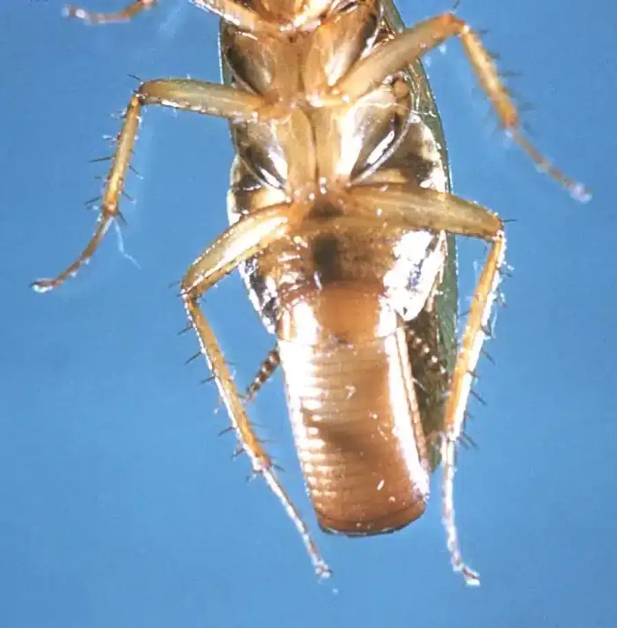
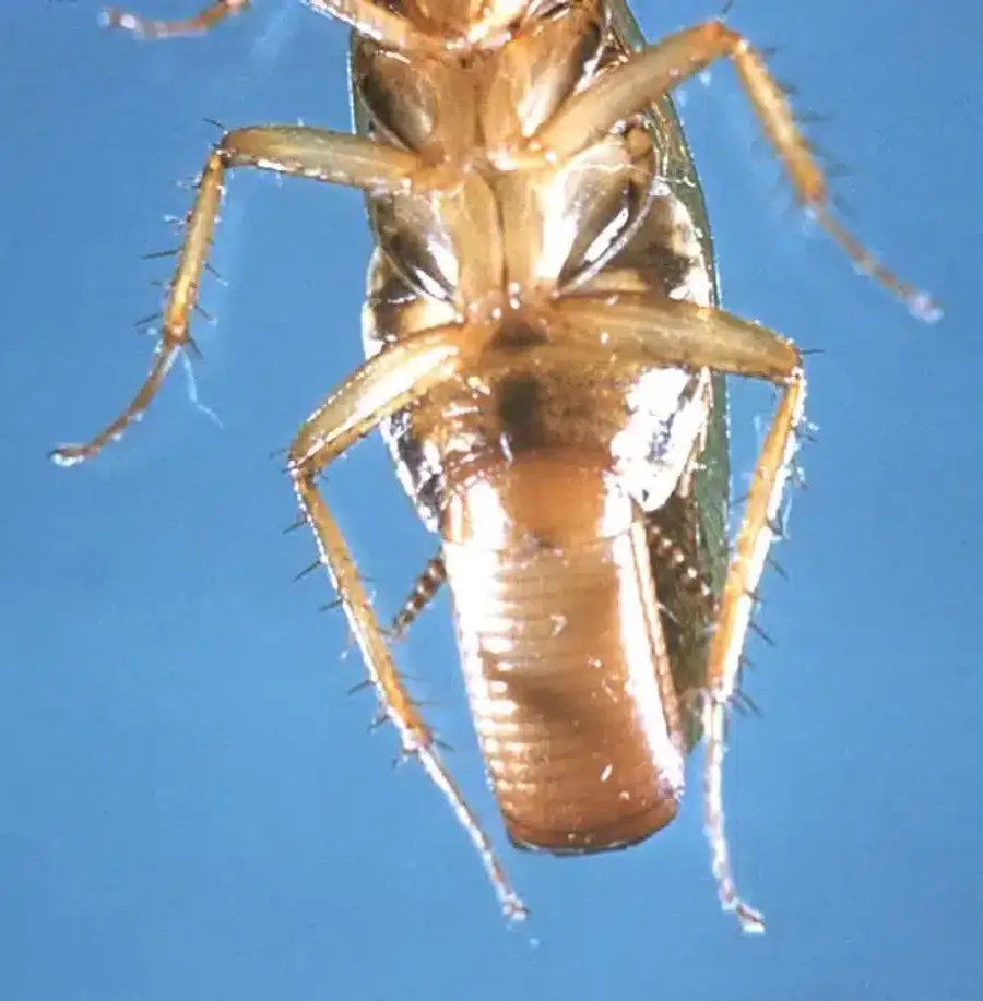
Baby German roaches range from 3 to 14 millimeters, depending on their stage. The youngest ones look almost black with pale edges. As they molt and grow, they lighten to brown or tan. This darker color in young nymphs confuses homeowners who expect them to look like smaller versions of the lighter adults.
The Two-Stripe ID Mark
The most reliable way to spot a baby German cockroach is the two dark stripes running down its back. These markings show up at every stage, from the youngest nymph to the adult. No matter what color the body is, the stripes stay visible.
This sets them apart from Oriental and American cockroach nymphs, which don’t have this pattern.
No Wings
Baby German cockroaches have no wings during early stages. Small wing pads show up later but don’t work until adulthood.
According to NC State Extension, 80% of a German cockroach population is nymphs and only 20% are adults. You’re far more likely to see babies than full-grown roaches.
How Fast They Breed
Females carry their egg cases until 1 to 2 days before hatching. Each case holds about 40 babies. A single female can make 5 to 8 cases in her lifetime.
This means one female and her offspring can produce over 30,000 roaches per year. In over 50 years of serving the DMV, we’ve seen this play out many times. Warmth and humidity behind fridges, under sinks, and inside dishwashers speed things up even more.
Where They Hide
Baby German roaches like tight spaces with warmth, humidity, and nearby food. They prefer spots where their bodies touch surfaces on multiple sides.
Common hiding spots:
- Behind and under kitchen appliances
- Inside cabinet hinges and drawer slides
- Around bathroom plumbing
- Near water heaters and HVAC units
- Behind outlet covers and switch plates
They rarely come out during the day. But in bad infestations, crowding pushes them into the open.
Signs of an Infestation
- Droppings: Small, dark specks that look like ground black pepper in cabinet corners and along baseboards
- Cast skins: Clear shells from molting that pile up in hiding spots, still showing the two-stripe pattern
- Daytime sightings: Seeing roaches during the day means the population is large and overcrowded
- Musty smell: A faint odor in areas where many nymphs gather
Health Risks
Baby German cockroaches are a real health concern, especially for people with asthma. Their shed skins, droppings, and saliva contain allergens that trigger breathing problems, especially in children.
They also carry bacteria like Salmonella and Staph on their bodies as they move between dirty areas and food surfaces. This is a big deal in kitchens.
From a money standpoint, roach problems can hurt your home’s value. Real estate inspections flag active infestations, and buyers often walk away or demand lower prices.
DIY Treatment
Small infestations can often be handled at home with the right approach. Success comes from being thorough and sticking with it.
Clean Up First
Remove all food sources. Store dry goods in sealed containers. Clean crumbs behind appliances and inside drawers. Fix leaky pipes and cut humidity around sinks and tubs. Use a dehumidifier in damp areas. Clear clutter that gives roaches more places to hide.
Gel Baits and Growth Regulators
Gel baits with indoxacarb or clothianidin work well when placed in the right spots. Put pea-sized dots every 8 to 12 inches in areas where nymphs gather.
Growth regulators (IGRs) stop baby roaches from maturing. Products with hydroprene or pyriproxyfen give 3 to 6 months of control when used with baits.
For more on treatment options, see our guide on boric acid for roaches.
Dust Treatments
Boric acid and diatomaceous earth dry out roaches on contact. Apply light dustings in wall voids, behind kick plates, and other hidden paths.
Don’t pile it on. Heavy, visible dust just makes roaches walk around it. Thin, invisible layers work best.
Professional Treatment
For moderate to heavy infestations, or when DIY hasn’t worked, professional treatment is the next step.
Inspection
Our technicians start with a detailed check to find all hiding spots and gauge how bad the problem is. We place sticky traps to track numbers.
We also ask about cleaning habits and moisture issues that help roaches survive. This info shapes a custom plan for your home.
Targeted Applications
We focus on cracks and gaps using products that roaches can’t detect or avoid. We apply materials directly into hiding areas where nymphs grow.
When needed, we remove outlet covers to treat behind fixtures. These hidden spots often hold large numbers that surface treatments can’t reach.
We avoid repellent sprays near bait placements. Repellents push roaches away from bait and hurt treatment results.
Follow-Up
Treatment usually needs multiple visits, spaced 2 to 3 weeks apart, to catch newly hatched nymphs. Resistance to multiple chemical classes has been documented. We rotate products to stay ahead of this.
We track progress with traps. If numbers don’t drop within 14 days, we switch to a different approach.
Cost: DIY vs Professional
DIY treatment runs about $40 to $80 for baits, growth regulators, and traps. Results depend on doing everything right over several months.
Professional costs in the DMV:
- Small apartments: $100 to $250 for initial visit
- Standard homes: $250 to $350 initial, plus $75 to $100 per follow-up
- Severe cases: $2,500 to $7,000+
For full pricing details, see our exterminator cost guide and pest control pricing overview.
Telling Baby German Roaches from Other Pests
Baby German cockroaches are often confused with other small bugs. For help, see our small roach ID guide and big roach ID article.
Oriental roaches produce darker, oval nymphs that live in basements and crawl spaces, not kitchens. American roaches grow much bigger and prefer commercial buildings and sewers.
When in doubt, look for the two dark stripes and the wingless body. That’s the clearest sign you have German cockroach nymphs.
Prevention
Stopping future problems means removing what roaches need to survive. Seal cracks around pipes with silicone caulk. Install door sweeps and weather stripping. Store food in sealed containers. Clean up spills right away.
Our SeasonGuard+ program includes tri-annual treatments (three times per year) that target German cockroaches along with 34 other common pests. This gives year-round protection against reinfestation.
Take Action Now
Baby German cockroaches mean an active breeding population that will keep growing without help. Early action keeps small problems from becoming major ones.
If you’re dealing with German cockroach activity in the DMV area, call us at 703-683-2000 or email info@bettertermite.com for expert ID and a custom treatment plan.
