Other Guide

Other Pests

Various

Beyond common household pests, many occasional invaders can find their way into homes. From stink bugs to earwigs, these pests may not pose major threats but can be a nuisance when they appear in large numbers.

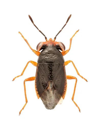
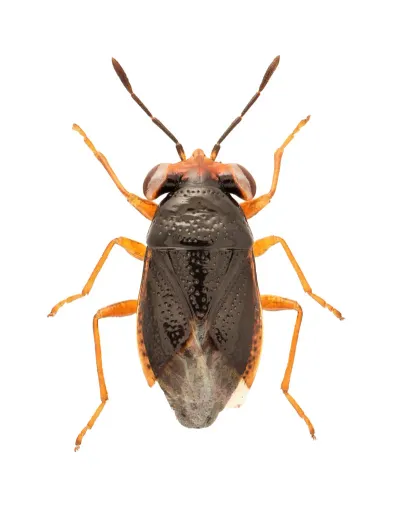
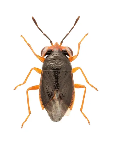
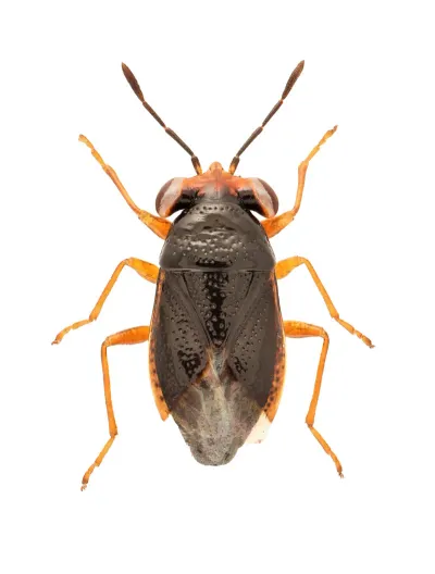
Brown marmorated stink bug showing its shield-shaped body
Explore 43 species of other pests Jump to species list

How to Spot Occasional Invaders

What They Look Like

Occasional invaders come in many shapes and sizes. Stink bugs are shaped like shields and brown in color. Boxelder bugs are black with red markings. Asian lady beetles look like ladybugs, but come in many colors. Earwigs have pinchers on their back end. These pests all share one thing: they enter homes when the weather changes but don’t live there year-round.

Common Types

  • Brown Marmorated Stink Bugs are brown, shield-shaped insects. They enter homes in fall and give off a bad smell when touched or crushed.

  • Boxelder Bugs are black with red wing markings. They gather on sunny walls and look for ways to get inside your home. A related species, Wood Wasps, shares similar characteristics.

  • Asian Lady Beetles look like ladybugs but come in many colors. They invade homes in fall. They can bite and leave stains. A related species, Daddy Long Legs, shares similar characteristics.

  • Earwigs are long, flat insects with pincers on their rear end. They like damp areas and sometimes wander indoors. A related species, Harvestmen, shares similar characteristics.

Occasional invaders live outside most of the time. They feed on plants, other bugs, or dead organic matter. When the weather gets cold in fall, they look for warm places to hide. Your home is a perfect spot. Unlike other pests, they can’t breed inside and won’t damage your home or get into your food. But when lots of them enter at once, they can be a real problem. A related species, Soldier Bug, shares similar characteristics.

How We Treat for Occasional Invaders

Our goal is to keep these pests outside where they belong.

  • Exterior Barrier Treatment: We apply treatments around your foundation, windows, doors, and other entry points. We do this before invasion season starts. The barrier stops pests before they can get inside.

  • Entry Point Checks: We look at your home for gaps and openings that let pests in. Then we give you tips on how to seal these spots.

  • Indoor Treatment: If pests are already inside, we treat the areas where they hide. You can vacuum up the ones you see. We also find out how they got in to stop future problems.

  • Seasonal Timing: For stink bugs and similar pests, fall treatment before the first frost is key. We time our work to give you the best protection when these pests are most active.

Types of Other Pests

Click on any species below to learn more about identification, behavior, and control methods.

Jagged ambush bug showing its angular body shape and yellowish-green coloring

Ambush Bugs

Phymata americana

Ambush bugs are small predatory insects that hide among flowers to capture prey with their powerful front legs. Learn how to identify these garden insects.

View identification guide
Adult antlion resting on a white surface showing elongated body and delicate wings

Antlions

Myrmeleontidae

Antlions are insects known for their larvae, called doodlebugs, which dig cone-shaped pit traps in sandy soil to catch ants. Adults look like damselflies with clubbed antennae.

View identification guide
Top-down view of an Arizona bark scorpion on a concrete surface showing its slender body and long thin tail

Arizona Bark Scorpions

Centruroides sculpturatus

The Arizona bark scorpion is the most venomous scorpion in North America. This slender, tan-colored arachnid is a skilled climber commonly found in the Sonoran Desert region, where it frequently enters homes through tiny cracks and crevices.

View identification guide
Top-down view of an Arizona hairy scorpion on rocky desert ground showing its full body, yellow pincers, legs, and segmented tail

Arizona Hairy Scorpions

Hadrurus arizonensis

The Arizona hairy scorpion is the largest scorpion in North America, often growing past five inches long. This desert burrower is known for its thick body hairs and pale yellow pincers.

View identification guide
Top-down view of an Asian lady beetle showing orange coloring with black spots and distinctive M-shaped marking on head

Asian Lady Beetles

Harmonia axyridis

Asian lady beetles are invasive insects that enter homes in large numbers during fall. They can bite, release foul-smelling secretions, and stain surfaces when disturbed.

View identification guide
Adult barklouse showing wings and long antennae from top-down view

Barklice

Psocoptera

Barklice are small, harmless insects often found in groups on tree bark, feeding on algae, lichen, and fungi. They are frequently confused with other pests but pose no threat to homes or people.

View identification guide
Top-down view of a big-eyed bug showing its wide head and large eyes

Big-Eyed Bugs

Geocoris spp.

Big-eyed bugs are small predatory insects with large eyes that feed on aphids, mites, and other small insects in gardens and lawns.

View identification guide
Booklouse showing characteristic soft body and banded pattern on bark surface

Booklice

Liposcelis spp.

Booklice are tiny, soft-bodied insects that thrive in humid environments and feed on mold and mildew. Despite their name, they do not bite and are not true lice.

View identification guide
Eastern eyed click beetle showing distinctive black and white spotted pattern with eye-like markings on thorax

Click Beetles

Elateridae

Click beetles are distinctive insects known for their unique ability to flip themselves into the air with an audible clicking sound. While adults are harmless visitors to homes, their larvae (wireworms) can damage lawns and gardens.

View identification guide
Daddy long legs harvestman showing characteristic oval body and extremely long thin legs from above

Daddy Long Legs

Opiliones

Daddy long legs (harvestmen) have very long thin legs and a small oval body. They look like spiders but are not. They have no venom and cannot bite.

View identification guide
Top-down view of a damsel bug showing its slender tan body and long legs

Damsel Bugs

Nabidae

Damsel bugs are small, slender predatory insects that feed on aphids, caterpillars, and spider mites. They are common in gardens and agricultural fields across North America.

View identification guide
Top-down view of a desert hairy scorpion on sandy ground showing its full body, dark midsection, and pale yellow pincers

Desert Scorpion

Hadrurus arizonensis

Desert scorpions are large, burrowing arachnids found throughout the arid Southwest. The giant desert hairy scorpion is the largest scorpion in North America, reaching over five inches in length.

View identification guide
Top-down close-up of a flat bug showing its textured, flattened brown body and extended abdominal margins

Flat Bugs

Aradidae

Flat bugs are small, dark-colored true bugs with extremely flattened bodies found under loose bark and in decaying wood, where they feed on fungi.

View identification guide
Top-down view of a Florida bark scorpion on dry leaf litter showing its dark brown body and reddish-brown legs

Florida Bark Scorpions

Centruroides gracilis

The Florida bark scorpion is a slender, dark brown scorpion found throughout Florida and parts of the Caribbean. Also called the slender brown scorpion, this nocturnal arachnid hides under bark, rocks, and debris during the day and hunts insects at night.

View identification guide
Top-down view of a giant whip scorpion on red soil showing its dark body, large pincers, segmented abdomen, and long whip-like tail with a measuring tape for scale

Giant Whip Scorpions

Mastigoproctus giganteus

The giant whip scorpion, also called the vinegaroon, is a large nocturnal arachnid found in the southern United States and Mexico. Despite its fearsome appearance, it is not venomous and defends itself by spraying a vinegar-like acid from its tail base.

View identification guide
Adult green lacewing with delicate transparent wings spread on a white surface

Green Lacewings

Chrysopidae

Green lacewings are delicate insects with transparent, lacy wings. Their larvae, known as aphid lions, are predators that feed on aphids, mites, and other soft-bodied insects.

View identification guide
Top-down view of a black ground beetle showing elongated body, ridged wing covers, and long antennae

Ground Beetles

Carabidae

Ground beetles are predatory insects that often enter homes by accident. These large, fast-moving beetles startle homeowners and can become a nuisance when they invade in numbers.

View identification guide
White grub larva held in a hand showing C-shaped body and brown head

Grubs

Scarabaeidae larvae

White grubs are the larval stage of scarab beetles, including June bugs and Japanese beetles. These C-shaped larvae live in soil and feed on grass roots, often causing significant damage to lawns and turf.

View identification guide
Brown harvestman showing characteristic oval body and long thin legs from above

Harvestmen

Opiliones

Harvestmen, commonly called daddy longlegs, are arachnids often mistaken for spiders. Unlike true spiders, they have a single oval-shaped body segment, only two eyes, and cannot produce silk or venom.

View identification guide
Adult head louse on white fabric showing its translucent tan body, six clawed legs, and dark digestive tract

Head Lice

Pediculus humanus capitis

Head lice are tiny wingless insects that live on the human scalp and feed on blood. They spread through direct head-to-head contact and are one of the most common parasitic infestations among school-age children in North America.

View identification guide
Top-down view of a jagged ambush bug showing its distinctive angular body shape and mottled coloring

Jagged Ambush Bug

Phymata americana

Jagged ambush bugs are small, well-camouflaged predatory insects that hide on flowers to ambush pollinating insects. These members of the assassin bug family are harmless to humans but can deliver a painful bite if handled.

View identification guide
Close-up side view of a Japanese beetle showing metallic green head, copper wing covers, and white hair tufts along the abdomen

Japanese Beetles

Popillia japonica

Japanese beetles are invasive scarab beetles with metallic green heads and copper wing covers. Adults skeletonize plant foliage while larvae damage lawns by feeding on grass roots.

View identification guide
Top-down view of a June bug showing its oval body, brown coloring, and distinctive features

June Bugs

Phyllophaga spp.

June bugs are large, clumsy beetles that swarm around lights at night during late spring and early summer. Their larvae, called white grubs, can damage lawns and gardens.

View identification guide
Adult green lacewing with delicate transparent wings spread on a white surface

Lacewings

Chrysopidae / Hemerobiidae

Lacewings are delicate, beneficial insects with lace-like wings that are valued for their voracious appetite for aphids and other garden pests. While they sometimes enter homes attracted to lights, they pose no threat to humans or property.

View identification guide
Lesser stripetail scorpion in profile showing full body, pincers, segmented tail, and legs against a soft background

Lesser Stripetail Scorpions

Chihuahuanus coahuilae

The lesser stripetail scorpion is a small, ground-dwelling scorpion found across the Chihuahuan Desert region of the southwestern United States and northern Mexico. It is one of the most commonly encountered scorpions in west Texas and southern New Mexico.

View identification guide
Top-down view of a Mexican bean beetle specimen showing copper-orange body with 16 black spots

Mexican Bean Beetles

Epilachna varivestis

Mexican bean beetles are copper-orange lady beetles with 16 black spots that feed on bean plants. Unlike most lady beetles, they are plant eaters that skeletonize the leaves of snap beans, lima beans, and soybeans.

View identification guide
Close-up of a cimicid bug showing its reddish-brown oval body and segmented abdomen

Mexican Chicken Bug

Haematosiphon inodorus

The Mexican chicken bug is a blood-sucking insect related to bed bugs. It mainly feeds on chickens and wild birds. Found mostly in Mexico and the southwestern U.S., it can harm poultry and sometimes bites people.

View identification guide
Minute pirate bug showing black and white wing pattern on green leaf

Minute Pirate Bugs

Orius insidiosus

Minute pirate bugs are tiny beneficial predators that can deliver surprisingly painful bites to humans, especially during late summer and fall when their prey becomes scarce.

View identification guide
Top-down view of a northern scorpion on a flat surface showing its stocky pincers and segmented tail

Northern Scorpions

Paruroctonus boreus

The northern scorpion is the most cold-tolerant scorpion in North America and the only species found in Canada. This small, tan-colored arachnid lives in dry grasslands and sagebrush habitats across the western United States and southern Canadian provinces.

View identification guide
Close-up view of a bed bug family member showing oval body shape and reddish-brown coloring

Poultry Bugs

Haematosiphon inodorus

The poultry bug is a blood-feeding pest in the bed bug family that feeds on birds like chickens, turkeys, and wild eagles.

View identification guide
Close-up of a pseudoscorpion showing its distinctive pincers and compact body on tree bark

Pseudoscorpions

Pseudoscorpiones

Pseudoscorpions are tiny arachnids that look like scorpions but have no tail or stinger. They feed on booklice, mites, and carpet beetle larvae found in homes.

View identification guide
Close-up of a psocid showing its characteristic wide head and soft body

Psocids

Order Psocodea

Psocids, commonly called booklice or barklice, are tiny soft-bodied insects that thrive in humid environments and feed on mold, fungi, and starchy materials like book bindings and wallpaper paste.

View identification guide
Adult sawfly with black body and orange legs resting on a green leaf

Sawflies

Symphyta (suborder)

Sawflies are plant-feeding insects whose caterpillar-like larvae can cause significant defoliation to trees, shrubs, and garden plants throughout North America.

View identification guide
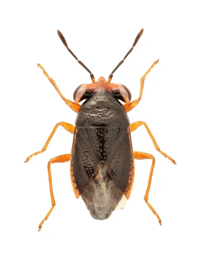
Top-down view of an adult spined soldier bug showing its mottled brown shield-shaped body

Soldier Bug

Podisus maculiventris

Soldier bugs are predatory insects in the stink bug family. They hunt caterpillars, beetle larvae, and aphids. Learn how to identify them and tell them apart from pest stink bugs.

View identification guide
Side view of a southern devil scorpion on soil showing its dark brown body, robust pincers, and curved tail

Southern Devil Scorpions

Vaejovis carolinianus

The southern devil scorpion is a small, dark-colored arachnid native to the southeastern United States. Often found hiding under rocks, logs, and loose bark in wooded areas, it is the most commonly encountered scorpion east of the Mississippi River.

View identification guide
Close-up of a smooth spider beetle showing its distinctive round, globe-shaped body and long thin legs

Spider Beetles

Ptininae

Spider beetles are small, round stored product pests that resemble tiny spiders due to their long legs and globe-shaped bodies. They infest pantries, warehouses, and homes where they feed on a wide variety of dried goods and organic debris.

View identification guide
Close-up of a globular springtail showing its round body and distinctive yellow-brown coloring

Springtails

Collembola

Springtails are tiny, moisture-loving hexapods that jump when disturbed. They thrive in damp environments and often invade homes in large numbers, indicating excess moisture problems.

View identification guide
Top-down view of a stripe-tailed scorpion on gravel with pincers spread showing its tan body and robust tail

Stripe-Tailed Scorpions

Paravaejovis spinigerus

The stripe-tailed scorpion is a medium-sized desert scorpion found across the American Southwest and northern Mexico. Named for the dark ridges along its tail segments, this burrowing arachnid is one of the most commonly encountered scorpions in Arizona.

View identification guide
Top-down view of a striped bark scorpion on concrete showing its tan body and dark dorsal stripes

Striped Bark Scorpions

Centruroides vittatus

The striped bark scorpion is the most common scorpion in the south-central United States. Recognized by two dark stripes running down its back, this nocturnal arachnid is a skilled climber that frequently enters homes through cracks and gaps in foundations.

View identification guide
Top-down view of a tailless whip scorpion resting on rock showing its flattened body and long sensory legs

Tailless Whip Scorpions

Amblypygi

Tailless whip scorpions are flattened, nocturnal arachnids with long sensory front legs and spiny grasping pedipalps. Despite their alarming appearance, they are harmless to humans and do not possess venom or produce silk.

View identification guide
Close-up side view of a rice weevil showing its distinctive elongated snout and reddish-brown coloring

Weevils

Sitophilus spp.

Weevils are small beetles with distinctive elongated snouts that infest stored grains, cereals, and pantry products. Rice weevils and granary weevils are the most common species found in homes, developing entirely inside grain kernels.

View identification guide
Close-up of a reddish-brown wind scorpion on dry soil showing its large chelicerae and segmented body

Wind Scorpions

Solifugae

Wind scorpions, also called camel spiders or sun spiders, are fast-moving arachnids with large pincer-like jaws. Despite their alarming appearance, they are not venomous and do not pose a serious health risk to people.

View identification guide
Wood wasp horntail with distinctive cylindrical body resting on weathered wood

Wood Wasps

Siricidae (Family)

Wood wasps, also known as horntails, are large wood-boring insects that develop in weakened or dying trees and occasionally emerge inside homes built with infested lumber.

View identification guide

Common Questions about Other Pests

What are occasional invaders?

+

Occasional invaders are pests that don't typically live indoors but enter homes during certain seasons or weather conditions. They include stink bugs, boxelder bugs, Asian lady beetles, earwigs, and similar pests that seek shelter or accidentally wander inside.

Why do stink bugs come into my house?

+

Stink bugs enter homes in fall seeking shelter for winter. They're attracted to warm, sunny sides of buildings and enter through gaps around windows, doors, and siding. Once inside, they may emerge on warm winter days, seeming to appear suddenly.

Are stink bugs harmful?

+

Stink bugs don't bite, sting, or cause structural damage. Their main issue is the unpleasant odor they release when disturbed or crushed. They can also stain fabrics and surfaces with their defensive secretions.

What's the best way to remove stink bugs?

+

Vacuum them up using a shop vac or a dedicated vacuum, as the odor can linger in regular vacuums. You can also sweep them into soapy water. Avoid crushing them, as this releases their characteristic smell.

How do I prevent occasional invaders?

+

Seal cracks around windows, doors, and the foundation. Install door sweeps and repair damaged screens. Apply exterior treatments in fall before pests start seeking shelter. Address moisture issues that attract some invaders.

Explore Other Pest Categories

Browse our comprehensive pest library for identification guides and control information.

George Schulz
About the Author
George Schulz

With five years of hands-on experience in the pest control industry, George Schulz is a registered technician with the Virginia Pest Management Association and a proud third-generation professional in a family business that's been protecting homes for over 57 years.

Find Local Other Pest Control Services

We provide professional other pests control throughout Virginia, Maryland, and the DC Metro area.

Accokeek Other Pest Control Aldie Other Pest Control Alexandria Other Pest Control Annandale Other Pest Control Arlington Other Pest Control Arlington Other Pest Control Ashburn Other Pest Control Beltsville Other Pest Control Berryville Other Pest Control Bethesda Other Pest Control Bowie Other Pest Control Boyds Other Pest Control Brambleton Other Pest Control Brandywine Other Pest Control Bristow Other Pest Control Broadlands Other Pest Control Burke Other Pest Control Capitol Heights Other Pest Control Centreville Other Pest Control Chantilly Other Pest Control Chevy Chase Other Pest Control Clarksburg Other Pest Control Clifton Other Pest Control Clinton Other Pest Control College Park Other Pest Control Columbia Other Pest Control Crofton Other Pest Control Damascus Other Pest Control Darnestown Other Pest Control Derwood Other Pest Control Dunn Loring Other Pest Control Edgewater Other Pest Control Ellicott City Other Pest Control Fairfax Other Pest Control Fairfax Station Other Pest Control Falls Church Other Pest Control Fort Belvoir Other Pest Control Fort Washington Other Pest Control Frederick Other Pest Control Fredericksburg Other Pest Control Gainesville Other Pest Control Gaithersburg Other Pest Control Germantown Other Pest Control Glen Burnie Other Pest Control Great Falls Other Pest Control Greenbelt Other Pest Control Haymarket Other Pest Control Herndon Other Pest Control Hyattsville Other Pest Control Jeffersonton Other Pest Control Jessup Other Pest Control Kensington Other Pest Control King George Other Pest Control La Plata Other Pest Control Laurel Other Pest Control Leesburg Other Pest Control Locust Grove Other Pest Control Lorton Other Pest Control Loudoun Other Pest Control Lovettsville Other Pest Control Manassas Other Pest Control Marshall Other Pest Control McLean Other Pest Control Merrifield Other Pest Control Montclair Other Pest Control New Market Other Pest Control Nokesville Other Pest Control Northern Virginia Other Pest Control Oakton Other Pest Control Odenton Other Pest Control Olney Other Pest Control Oxon Hill Other Pest Control Poolesville Other Pest Control Potomac Other Pest Control Potomac Other Pest Control Purcellville Other Pest Control Remington Other Pest Control Reston Other Pest Control Reston Other Pest Control Rockville Other Pest Control Round Hill Other Pest Control Severn Other Pest Control Silver Spring Other Pest Control South Riding Other Pest Control Spotsylvania Other Pest Control Springfield Other Pest Control Stafford Other Pest Control Stephenson Other Pest Control Sterling Other Pest Control Takoma Park Other Pest Control Temple Hills Other Pest Control The Plains Other Pest Control Upper Marlboro Other Pest Control Urbana Other Pest Control Vienna Other Pest Control Waldorf Other Pest Control Warrenton Other Pest Control Winchester Other Pest Control Woodbridge Other Pest Control
Got a pest problem?
Speak with a Licensed Expert Now