Harvestmen Identification Guide
Opiliones
Harvestmen, commonly called daddy longlegs, are arachnids often mistaken for spiders. Unlike true spiders, they have a single oval-shaped body segment, only two eyes, and cannot produce silk or venom.
Taxonomy
Harvestmen Coloration
Common color patterns to help identify harvestmen
Harvestmen
Seasonal Activity
When harvestmen are most active throughout the year
Where Harvestmen Are Found
Hover over states to see their names. Green regions indicate where harvestmen have been reported.
Harvestmen Identification Guide
Physical Characteristics
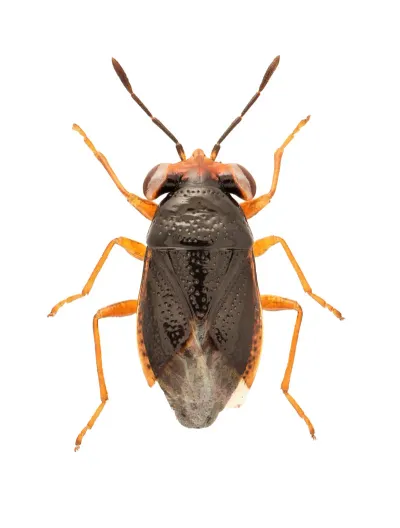
Harvestmen (order Opiliones) are easy to spot. They have very long, thin legs and a small oval body. Unlike spiders, their body looks like one piece. There is no narrow “waist” between the front and back sections. Body length ranges from 2-10mm (about 0.08-0.4 inches). Their leg span can stretch several inches.
Their colors help them hide. They are usually brown, tan, gray, or reddish-brown. These colors blend with soil, leaves, and tree bark. Some have darker markings or bands on their bodies. Their two eyes sit on a raised bump on top of the body called the ocularium.
Key features to look for:
- Single oval body - No narrow “waist” like spiders have
- Only two eyes - Sits on a raised bump on top of the body
- Very long, thin legs - Often several times longer than the body
- Second leg pair is longest - These legs help them smell and feel
- No silk or webs - They cannot make silk at all
- No venom - Their mouthparts are claws, not fangs
How to Tell Harvestmen from Spiders
Many people confuse harvestmen with cellar spiders, which are also called “daddy longlegs spiders.” Here are the key differences:
| Feature | Harvestmen | Cellar Spiders |
|---|---|---|
| Body segments | One fused oval | Two distinct segments |
| Eyes | 2 eyes | 8 eyes |
| Silk production | None | Builds irregular webs |
| Venom | None | Mild (not dangerous) |
| Feeding | Eats solid food particles | Liquifies prey |
| Habitat | Outdoors, leaf litter, soil | Indoor corners, cellars |
Common Species in North America
Over 100 species of harvestmen have been identified in North America. The most commonly encountered belong to two families:
- Phalangiidae - Includes the European harvestman (Phalangium opilio), which has spread throughout North America
- Sclerosomatidae - The largest family in North America, including numerous Leiobunum species commonly found in gardens and woodlands
Harvestmen Behavior and Biology
Where Harvestmen Live
Harvestmen like moist, shaded places where they can find shelter and food. You can find them in:
- Forest floors in leaf litter and rotting wood
- Under rocks, logs, and bark
- Garden plants and mulched beds
- Shaded areas of lawns
- Cave openings and rock cracks
- Sometimes in basements and crawl spaces A related species, Wood Wasps, shares similar characteristics.
They dry out easily and need moisture to survive. This is why they often enter damp basements, cellars, and other humid areas. According to Ohio State University Extension, harvestmen actively seek humid spots. A related species, Daddy Long Legs, shares similar characteristics.
What Harvestmen Eat
Harvestmen are scavengers that eat many things. The Missouri Department of Conservation notes their varied diet includes:
- Small bugs - Aphids, caterpillars, beetle grubs, mites, small spiders
- Dead matter - Dead insects, rotting plants, fungi
- Other items - Bird droppings, earthworms, small slugs and snails
- Each other - They will eat other harvestmen when food is scarce
Harvestmen eat differently than spiders. Spiders inject venom and drink their prey. Harvestmen grab food with their mouthparts and eat small solid bits. They are more like tiny scavengers than hunters.
Why Harvestmen Group Together
Harvestmen often form large clusters. Groups of dozens or hundreds may gather in one spot. This behavior helps them in several ways:
- Keeps them moist - Grouping reduces water loss in dry weather
- Protects from predators - A mass of legs confuses attackers
- Releases chemicals - Their scent glands release defensive odors together
- Helps them find mates - Easier to mate when gathered
These clusters form during the day. At night, the harvestmen spread out to find food. They regroup at dawn.
How Harvestmen Defend Themselves
Harvestmen use several tricks to avoid predators:
Bobbing and Shaking: When scared, harvestmen bounce or shake their bodies fast. This blurs their shape and confuses predators. It makes it hard to spot the body among all the moving legs.
Dropping Legs: Harvestmen can drop a leg to escape a predator’s grip. The severed leg keeps twitching for up to an hour. This distracts the predator while the harvestman gets away. They cannot grow the leg back.
Smell Glands: Special glands on their body release bad-smelling chemicals when threatened. These smells may drive away some predators.
Life Cycle
Most harvestmen mate to reproduce, though some females can have babies without mating. Their life cycle includes:
- Eggs - Females lay eggs in soil, under bark, or in hidden spots
- Hatching - Eggs hatch in one to six months depending on the species and temperature
- Growth - Young harvestmen molt about 6 times before they are adults
- Adult life - Most live for one season, though some survive through winter
In North America, harvestmen are most common from late spring through fall. Summer is their peak season.
Treatment Options for Harvestmen
Harvestmen pose no threat to humans, pets, or property. They do not build webs and do not bite. However, when large numbers enter homes or gather on exterior walls, homeowners often want to reduce their presence.
When Harvestmen Become a Problem
Harvestmen may become unwelcome when:
- Large numbers gather on exterior walls or porches
- They repeatedly enter living spaces
- Groups form in garages, sheds, or outbuildings
- Their presence causes discomfort for occupants
How Treatment Works
Pest control for harvestmen uses methods similar to spider control. Treatment focuses on keeping them out and reducing populations around the home.
Environmental Changes:
- Lower humidity in basements and crawl spaces with dehumidifiers
- Remove moisture sources near the foundation
- Clear leaf litter, mulch, and debris from foundation areas
- Stack firewood away from the home
- Reduce exterior lighting that attracts insects they eat
Exclusion:
- Seal cracks and gaps around windows, doors, and pipes
- Install tight-fitting door sweeps
- Repair damaged window screens
- Caulk gaps where utilities enter the structure
Direct Removal:
- Vacuum up harvestmen found indoors
- Use a broom to move outdoor groups away from entry points
- Clear debris near foundations where they lay eggs
Perimeter Treatments: For ongoing problems, exterior barrier treatments can reduce harvestmen entering structures. Treatment targets entry points and areas where harvestmen gather. These treatments work by creating a protective zone around the home that harvestmen must cross to enter.
References
- Ohio State University Extension. (n.d.). Ohio’s Natural Enemies: Harvestmen. Retrieved from https://ohioline.osu.edu/factsheet/ent-68
- Missouri Department of Conservation. (n.d.). Daddy Longlegs (Harvestmen). Retrieved from https://mdc.mo.gov/discover-nature/field-guide/daddy-longlegs-harvestmen
- Britannica. (n.d.). Daddy longlegs. Retrieved from https://www.britannica.com/animal/daddy-longlegs
- Wikipedia. (n.d.). Opiliones. Retrieved from https://en.wikipedia.org/wiki/Opiliones
- BugGuide. (n.d.). Order Opiliones - Harvestmen. Retrieved from https://bugguide.net/node/view/2405
Other Other Pests
Explore other species in the other pests family
Commonly Confused With
Harvestmen are often mistaken for these similar pests
Where Harvestmen Are Found
Hover over states to see their names. Green regions indicate where harvestmen have been reported.
Common Questions about Harvestmen
Are harvestmen venomous or dangerous?
+
No, harvestmen are not dangerous. They have no venom glands at all. The myth that they are highly venomous but cannot bite is false. Their mouthparts are made for grabbing small prey and cannot pierce human skin.
What is the difference between harvestmen and daddy longlegs spiders?
+
The name 'daddy longlegs' refers to three different creatures: harvestmen, cellar spiders, and crane flies. Harvestmen have one oval body, only two eyes, and make no silk. Cellar spiders have two body parts, eight eyes, and build messy webs.
Why do harvestmen gather in large groups?
+
Harvestmen cluster in groups of dozens or hundreds in dry weather. Grouping helps them hold onto moisture. It also confuses predators and helps them find mates. These groups form during the day and break up at night to hunt.
Do harvestmen build webs?
+
No, harvestmen cannot make silk and do not build webs. They walk around looking for food rather than waiting in a web. This is a key difference between harvestmen and true spiders.
What do harvestmen eat?
+
Harvestmen eat many things including aphids, caterpillars, beetles, flies, mites, slugs, snails, worms, spiders, dead plants, fungi, and bird droppings. Unlike spiders that drink their prey, harvestmen eat small solid bits of food.
Why do harvestmen lose their legs so easily?
+
Harvestmen can drop a leg on purpose when a predator grabs them. The dropped leg keeps twitching for up to an hour, which distracts the predator. The harvestman uses this time to escape. They cannot grow the leg back.
Do harvestmen cause any damage?
+
No, harvestmen do not damage homes, gardens, or property. They do not bite, make webs, or spread disease. When they enter homes in large numbers, they are just a nuisance.
How do I keep harvestmen out of my house?
+
Lower humidity with dehumidifiers. Seal cracks around windows and doors. Add door sweeps and fix torn screens. Turn off outdoor lights that attract bugs they eat. If you find them inside, you can move them outside.
With five years of hands-on experience in the pest control industry, George Schulz is a registered technician with the Virginia Pest Management Association and a proud third-generation professional in a family business that's been protecting homes for over 57 years. He manages and trains a team of service pros while also leading internal research efforts—recently spearheading a deep-dive review of thousands of documents on pest control materials to hand-pick the most kid and pet friendly, most effective solutions tailored specifically for homes in the DC metro area.


