Big-Eyed Bugs Identification Guide
Geocoris spp.
Big-eyed bugs are small predatory insects with large eyes that feed on aphids, mites, and other small insects in gardens and lawns.
Taxonomy
Big-Eyed Bugs Coloration
Common color patterns to help identify big-eyed bugs
Big-Eyed Bugs
Seasonal Activity
When big-eyed bugs are most active throughout the year
Where Big-Eyed Bugs Are Found
Hover over states to see their names. Green regions indicate where big-eyed bugs have been reported.
Big-Eyed Bugs Identification Guide
Physical Characteristics
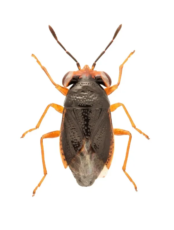
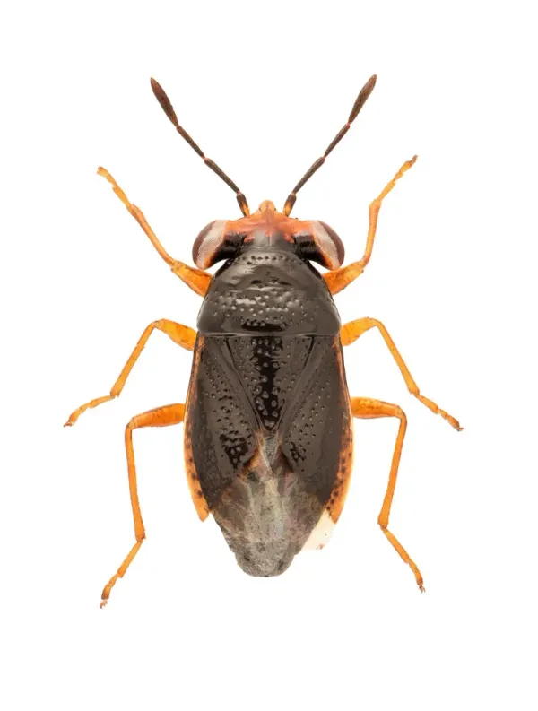
Big-eyed bugs are small insects measuring 3 to 6 mm (about 1/8 to 1/4 inch) long. Their most obvious feature is their large, bulging eyes. These eyes curve backward and overlap the front of the thorax. This eye shape helps them spot prey and sets them apart from similar insects.
Their bodies are oval-shaped with a head that is wider than it is long. Colors vary by species but usually include black, brown, gray, tan, or reddish-brown. Some have pale borders along the sides of their abdomen. Adults have wings and can fly. Young bugs (nymphs) look like smaller adults but have wing pads instead of full wings.
Common Species in North America
-
Geocoris punctipes (Say): Found from New Jersey to California and into Mexico. Adults are pale with spots on the scutellum.
-
Geocoris uliginosus (Say): Lives across most of the United States and southern Canada. Nearly all black on top with pale borders.
-
Geocoris bullatus (Say): The large big-eyed bug. Found coast-to-coast in the U.S. and Canada. Pale coloring with small markings.
-
Geocoris pallens (Stahl): Common in western states, especially California. Usually brownish in color.
Big-Eyed Bugs Behavior and Biology
Where They Live
Big-eyed bugs live in many places including farm fields, gardens, lawns, and flower beds. They are common in crops like cotton, soybeans, and alfalfa. They like low-growing plants where prey is easy to find.
These bugs hunt during the day. They are most active in the morning when temperatures are mild. You will see fewer of them during the hottest part of the day.
What They Eat
Big-eyed bugs are hunters that eat many types of small insects:
- Aphids at all life stages
- Spider mites (adults can eat up to 83 mites per day)
- Whitefly nymphs
- Small caterpillars and moth larvae
- Insect eggs
- Flea beetles
- Lygus bugs and other plant bugs
- Thrips
Big-eyed bugs can also survive on plant materials like pollen, seeds, and plant juices. This helps them live in areas even when prey is hard to find. But they need insect prey to grow and reproduce well.
Life Cycle
Big-eyed bugs grow from egg to adult in about 30 days. Females lay small, oblong, white eggs (less than 1 mm long) on plant stems and under leaves. The eggs have a thin point on one end.
Young bugs go through five growth stages before becoming adults. At each stage, they have the same large eyes and wide head as adults. One young bug can eat up to 1,600 spider mites before it becomes an adult.
How to Identify Big-Eyed Bugs vs. Similar Insects
Big-eyed bugs look similar to some pest species. Telling them apart is important because they behave very differently.
Big-Eyed Bugs vs. Chinch Bugs
| Feature | Big-Eyed Bug | Chinch Bug |
|---|---|---|
| Eyes | Very large, bulging | Small |
| Head shape | Wide, broader than long | Narrow, longer |
| Body shape | Oval | Elongated |
| Behavior | Hunts other insects | Damages turfgrass |
Chinch bugs are lawn pests that suck juices from grass and cause brown patches. Big-eyed bugs hunt other insects and do not damage grass. The key difference is eye size. Big-eyed bugs have eyes so large they overlap the thorax.
Big-Eyed Bugs vs. Plant Bugs
Plant bugs like the whitemarked fleahopper can also look similar. But plant bugs have smaller eyes, longer antennae, and narrower heads compared to their body width.
Big-Eyed Bugs and Your Garden
Big-eyed bugs are predators, not pests. They do not damage plants or structures. They do not bite people. Their presence in a garden usually means there are other small insects present that they are hunting.
In lawns, big-eyed bugs eat chinch bugs, sod webworms, and other turf pests. In gardens, they eat aphids, mites, and caterpillars.
If you see big-eyed bugs, it may help to also check for the insects they eat. Large numbers of big-eyed bugs could mean you have an aphid or mite population nearby.
References
Other Other Pests
Explore other species in the other pests family
Commonly Confused With
Big-Eyed Bugs are often mistaken for these similar pests
Where Big-Eyed Bugs Are Found
Hover over states to see their names. Green regions indicate where big-eyed bugs have been reported.
Common Questions about Big-Eyed Bugs
Are big-eyed bugs harmful to humans?
+
No, big-eyed bugs do not bite, sting, or spread diseases. They are harmless to people and pets.
What do big-eyed bugs eat?
+
Big-eyed bugs hunt and eat aphids, spider mites, whiteflies, small caterpillars, insect eggs, and flea beetles. They can eat up to 80 spider mites per day. They also feed on pollen, seeds, and plant juices.
How can I tell big-eyed bugs apart from chinch bugs?
+
Big-eyed bugs have much larger eyes that curve backward and overlap the thorax. They also have a wider head. Chinch bugs have smaller eyes and longer bodies. Getting this ID right matters because chinch bugs damage lawns while big-eyed bugs do not.
Do big-eyed bugs damage plants?
+
No. Big-eyed bugs are predators that hunt other insects. While they may drink some plant juices, they do not cause plant damage.
Where do big-eyed bugs live?
+
Big-eyed bugs live on low-growing plants like vegetables, field crops, ornamental plants, and turfgrass. You can find them in gardens, farm fields, and lawns where other small insects are present.
Why are there big-eyed bugs in my yard?
+
Big-eyed bugs show up where there are other small insects to hunt. Their presence often means there are aphids, mites, or other small bugs nearby that they are feeding on.
With five years of hands-on experience in the pest control industry, George Schulz is a registered technician with the Virginia Pest Management Association and a proud third-generation professional in a family business that's been protecting homes for over 57 years. He manages and trains a team of service pros while also leading internal research efforts—recently spearheading a deep-dive review of thousands of documents on pest control materials to hand-pick the most kid and pet friendly, most effective solutions tailored specifically for homes in the DC metro area.



