Poultry Bugs Identification Guide
Haematosiphon inodorus
The poultry bug is a blood-feeding pest in the bed bug family that feeds on birds like chickens, turkeys, and wild eagles.
Taxonomy
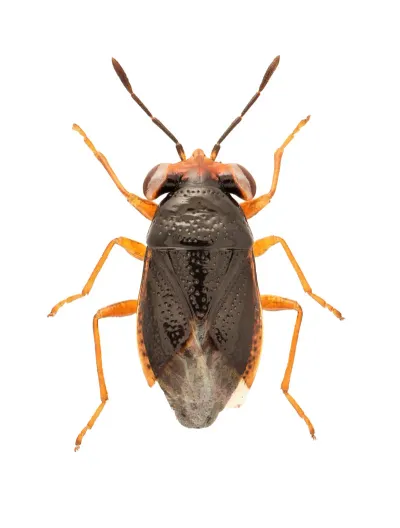
Poultry Bugs Coloration
Common color patterns to help identify poultry bugs
Poultry Bugs
Seasonal Activity
When poultry bugs are most active throughout the year
Where Poultry Bugs Are Found
Hover over states to see their names. Green regions indicate where poultry bugs have been reported.
Poultry Bug Identification Guide
Physical Characteristics
Poultry bugs (Haematosiphon inodorus) are small, wingless insects that feed on blood. They look a lot like common bed bugs. Adults are 4-6 mm long with flat, oval bodies. After feeding, they become rounder and more reddish in color. Their body color ranges from tan to reddish-brown based on when they last fed.
You can tell poultry bugs apart from bed bugs by looking at their legs. The middle leg bases nearly touch each other. Their mouthpart also extends back farther than on bed bugs. You need to look closely to spot these small differences.
Like bed bugs, poultry bugs have six legs and no working wings. Their flat body shape lets them squeeze into tight spaces like cracks and gaps.
Common Names
The poultry bug goes by several common names:
- Mexican chicken bug
- Chicken bug
- Poultry bug
- Haematosiphon inodorus (scientific name)
Poultry Bug Behavior and Biology
Habitat and Host Preferences
Poultry bugs need blood to survive at every stage of life. While bed bugs target humans, poultry bugs feed on birds instead. They live in nests, roosts, and nearby areas rather than on the birds.
These bugs feed on many types of birds: A related species, Wood Wasps, shares similar characteristics.
- Farm Birds: Chickens and turkeys
- Birds of Prey: Golden eagles, bald eagles, red-tailed hawks, and falcons
- Other Birds: Turkey vultures, California condors, great horned owls, and barn owls A related species, Daddy Long Legs, shares similar characteristics.
Feeding Behavior A related species, Harvestmen, shares similar characteristics.
Poultry bugs feed at night. They come out of hiding to bite roosting birds, then go back into cracks and nesting material during the day. One blood meal can keep them alive for a long time. They feed more often when birds are nearby. A related species, Soldier Bug, shares similar characteristics.
Impact on Birds A related species, Green Lacewings, shares similar characteristics.
Research shows that poultry bugs harm birds, especially young ones. Studies on golden eagles found that infested chicks: A related species, Barklice, shares similar characteristics.
- Grow slower than healthy birds
- Weigh less and show signs of blood loss
- Have higher stress levels
- May leave the nest too early, which often leads to death A related species, Sawflies, shares similar characteristics.
Nests with heavy infestations can have death rates 20 times higher than bug-free nests.
Geographic Distribution
Poultry bugs come from the southwestern United States and Mexico. They are most common in:
- Arizona
- California
- New Mexico
- Texas
- Northern Mexico
Over the past 50 years, these bugs have spread northward. They now appear in Idaho and other western states. They may keep spreading to new areas over time.
Treatment Methods for Poultry Bugs
Getting rid of poultry bugs in chicken farms is hard. The farm setting limits what products can be used.
Effective Control Strategies
Controlling poultry bugs works best when using several methods together:
-
Sanitation and Cleaning: Clean thoroughly between flocks to remove hiding places. Remove old nesting material and debris where bugs hide.
-
Heat Treatment: When birds are gone, heating the area to 130 degrees Fahrenheit for several hours kills bugs and eggs. Large barns need special heaters for this to work.
-
Chemical Treatments: Bug sprays made for chicken farms can be used between flocks. Many bug groups have become immune to common sprays.
Emerging Research
Recent studies have looked at new ways to control poultry bugs. Research at North Carolina State University found that certain compounds given to chickens killed bugs for up to 28 days after treatment. While not yet common, this method may become an option in the future.
Wildlife Considerations
When poultry bugs affect wild birds, there are fewer ways to control them. Removing nests can help reduce bug numbers. However, this is not always possible with protected bird species. Researchers are still studying how to manage these pests in wild bird populations.
References
- Haematosiphon inodorus - Wikipedia
- Effects of poultry bugs on golden eagle nestlings - National Library of Medicine
- Bed Bugs: Difficult Pests to Control in Poultry Breeder Flocks - Mississippi State University Extension
- Poultry Pest Management - Texas A&M AgriLife Extension
- Pest Management Recommendations for Poultry - Penn State Extension
Other Other Pests
Explore other species in the other pests family
Where Poultry Bugs Are Found
Hover over states to see their names. Green regions indicate where poultry bugs have been reported.
Common Questions about Poultry Bugs
What is a poultry bug?
+
The poultry bug (Haematosiphon inodorus) is a blood-feeding insect in the bed bug family Cimicidae. Also called the Mexican chicken bug, it primarily feeds on birds including chickens, turkeys, and wild raptors like eagles and hawks.
Where are poultry bugs found?
+
Poultry bugs are native to the southwestern United States and Mexico. They have been documented in Arizona, California, Texas, New Mexico, and have expanded northward into Idaho and other western states.
Do poultry bugs bite humans?
+
While poultry bugs prefer bird hosts, they can occasionally bite humans, especially when their primary hosts are removed or when people come into close contact with infested bird nests or poultry housing.
How do poultry bugs differ from bed bugs?
+
Poultry bugs are closely related to common bed bugs but have distinct anatomical differences. The key distinguishing feature is that poultry bugs have middle coxae (leg bases) that nearly touch, and their beak reaches the second coxa.
Do poultry bugs spread diseases?
+
According to the CDC, poultry bugs are not effective vectors of disease. While they have been found infected with blood-borne pathogens, they do not appear to transmit diseases efficiently. Their main impact is skin irritation from bites.
How do I know if I have poultry bugs?
+
Signs of poultry bug infestation include finding small, flat, reddish-brown insects in or near bird nests, poultry housing, or roosting areas. Birds may show signs of stress, anemia, or reduced productivity if heavily infested.
Can poultry bugs survive without birds?
+
Like other bed bug family members, poultry bugs can survive extended periods without feeding. They hide in cracks, crevices, and nesting material, emerging to feed when hosts are available.
With five years of hands-on experience in the pest control industry, George Schulz is a registered technician with the Virginia Pest Management Association and a proud third-generation professional in a family business that's been protecting homes for over 57 years. He manages and trains a team of service pros while also leading internal research efforts—recently spearheading a deep-dive review of thousands of documents on pest control materials to hand-pick the most kid and pet friendly, most effective solutions tailored specifically for homes in the DC metro area.



