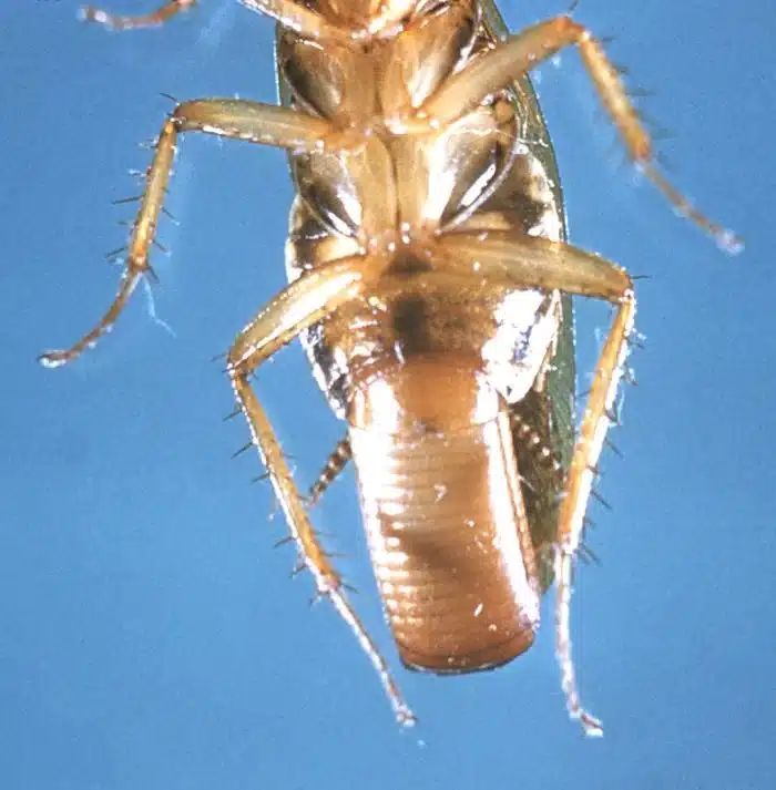
How To Get Rid Of Springtails: Complete Removal Guide
Need to know how to get rid of springtails? Better Termite and Pest Control offers expert tips to identify and permanently remove these tiny pests from your home.
Get answers from experts who've solved 100,000+ pest problems across the DMV. Straight talk about what works, what doesn't, and how to protect your home — backed by our research team's findings.
Need to know how to get rid of springtails? Better Termite and Pest Control offers expert tips to identify and permanently remove these tiny pests from your home.
Concerned about spiders in Maryland? Our guide helps identify local species, understand their habits, and keep them out with Better Termite and Pest Control.
Learn the right way to use borax for ants. Proper mixing ratios, placement strategies, and elimination timeline from Better Termite and Pest Control.
Many bugs that look like flying termites are harmless. Better Termite and Pest Control helps you identify which ones require professional attention and why expert inspection matters.
Complete guide on silverfish in bathroom spaces from Better Termite and Pest Control. Learn why they appear, where they hide, and how to eliminate them for good.
Find out what is a termite bond, how to choose the right coverage, and what lenders require. Better Termite and Pest Control's complete guide for DMV homeowners.
End your ants in car problem with expert tips from Better Termite and Pest Control. Learn why they invade, how to remove them, and prevent return visits.
Discover what carpenter bee holes look like, where to find them, and how to effectively treat them. Get expert carpenter bee solutions from Better Termite and Pest Control.
Worried about carpet beetle larvae? Better Termite and Pest Control shows what they look like, where they hide, how they damage fabrics, and effective removal methods.
Learn to distinguish flying ants vs termites with our expert identification guide. Better Termite and Pest Control shows you what to look for and why it matters.