Learning Center / Topic

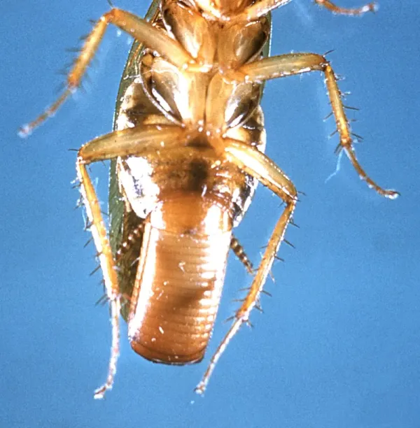
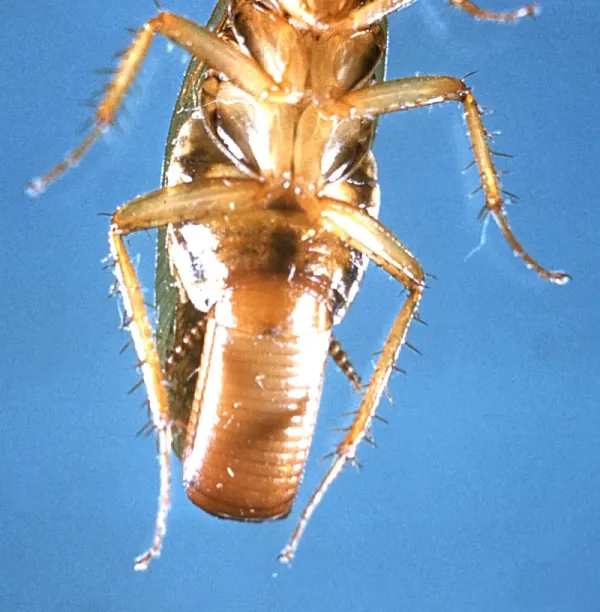
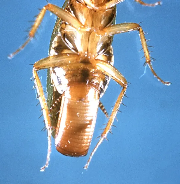
#roach eggs

1 article found

Got a pest problem?
Speak with a Licensed Expert Now