Cockroaches
• George Schulz
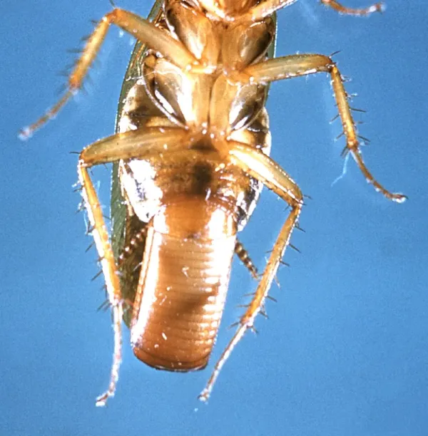
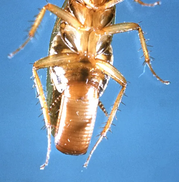
German Cockroach Eggs: What They Look Like & How to Get Rid of Them
Learn how to identify German cockroach eggs (ootheca), where they hide, and why eliminating them is critical for controlling infestations in your home.