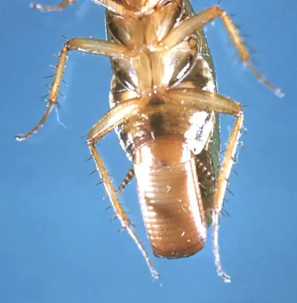
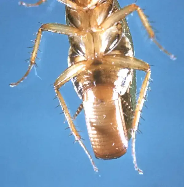
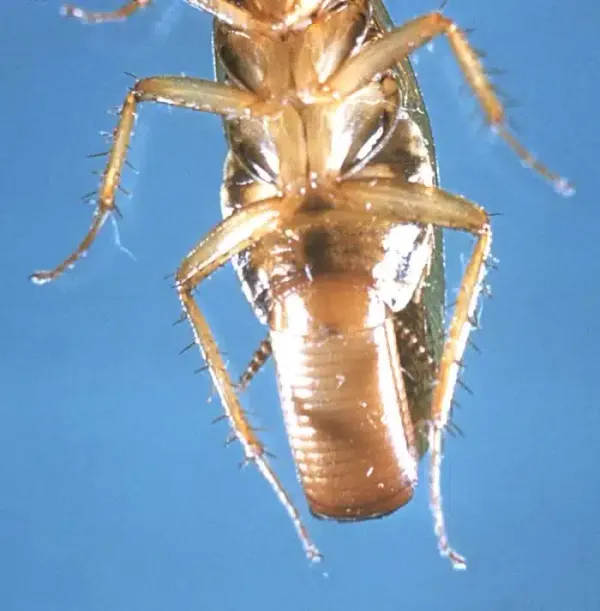
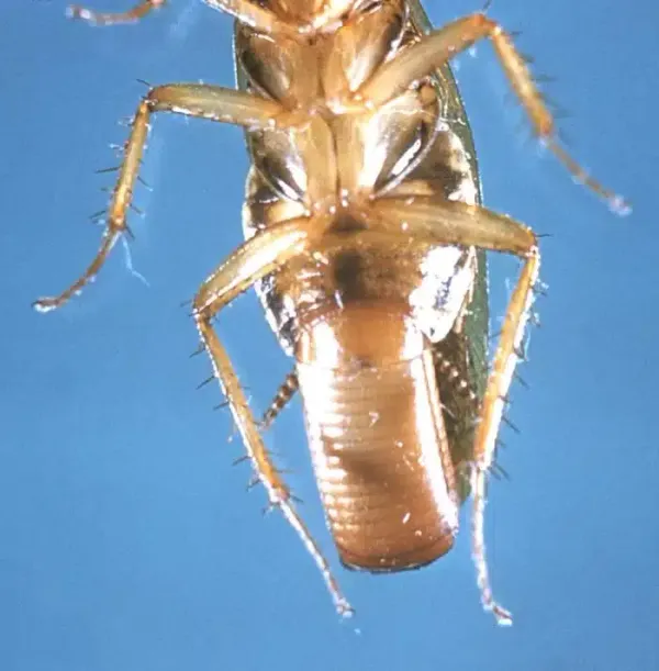
Wood Roaches vs German Roaches: What Homeowners Should Know
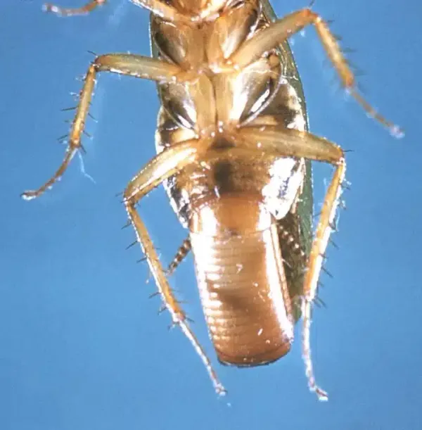
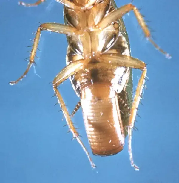
Wood roaches vs German roaches? Better Termite and Pest Control explains how to identify both types and why one is less concerning in your Northern Virginia home.
Get answers from experts who've solved 100,000+ pest problems across the DMV. Straight talk about what works, what doesn't, and how to protect your home — backed by our research team's findings.
Wood roaches vs German roaches? Better Termite and Pest Control explains how to identify both types and why one is less concerning in your Northern Virginia home.
Found an albino roach? Better Termite and Pest Control explains why roaches appear white and shares professional treatment options for your home.
Wondering about bumblebee vs carpenter bee differences? Learn to identify these insects, understand which one actually damages wooden structures, and how Better Termite and Pest Control helps.
Do carpenter bees sting? Discover the facts about these wood-boring insects and how to properly treat them with Better Termite and Pest Control.
Wondering "how do I get rid of rats in my house"? Better Termite and Pest Control offers proven methods to remove rats and protect your family's health. Expert solutions await!
Discover how to get rid of carpenter bees and protect your home from damage. Better Termite and Pest Control offers proven professional solutions in DC, VA, and MD.
Wondering about male vs female rats? Better Termite and Pest Control explains the key differences to help you identify rat gender and prevent unwanted infestations in your home.
Struggling with water bugs? Our comprehensive guide explains identification and proven elimination methods. Better Termite and Pest Control can help.
Wondering what do termites look like? Our guide shows how to identify them before costly damage occurs. Better Termite and Pest Control serves DC, VA & MD homes.
Wondering what a baby German cockroach looks like? Better Termite and Pest Control explains identification, treatment methods, and expected removal costs.