Hairy Chinch Bug Identification Guide
Blissus leucopterus hirtus
The hairy chinch bug is a destructive lawn pest that feeds on cool-season grasses in the northeastern United States and southern Canada. These tiny insects cause irregular brown patches in lawns during hot, dry summer months.
Taxonomy
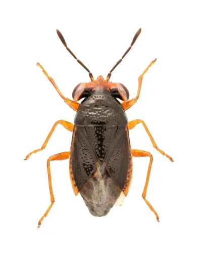
Hairy Chinch Bug Coloration
Common color patterns to help identify hairy chinch bug
Hairy Chinch Bug
Seasonal Activity
When hairy chinch bug are most active throughout the year
Where Hairy Chinch Bug Are Found
Hover over states to see their names. Green regions indicate where hairy chinch bug have been reported.
Hairy Chinch Bug Identification Guide
Physical Characteristics
Adult hairy chinch bugs are small, just 3 to 4 mm long (about 1/8 inch). They have long black bodies with white wings that fold flat over the back. Each wing has a black triangular mark near the outer edge. Fine hairs cover the whole body, which is how this type got its name. The legs are orange to reddish-brown.
Nymphs look very different from adults. Young nymphs are bright orange-red with a pale band across the belly. As they grow through five stages, their color changes to purple-gray or charcoal. Older nymphs grow wing pads on their backs. The shift from bright orange to dark gray makes nymphs look like totally different bugs at each stage.
Eggs are tube-shaped and very small, less than 1 mm long. Fresh eggs are white or cream. Right before hatching, they turn bright orange. Females lay eggs in the soil near grass crowns or inside the leaf sheaths of grass plants.
Distinguishing Features
Several traits help tell hairy chinch bugs apart from similar bugs:
- Body hairs: Dense fine hairs cover the body, visible with a magnifying glass
- Wing pattern: White wings with black triangular marks that overlap when at rest
- Size: Smaller than most lawn bugs at only 3-4 mm
- Movement: Quick, darting moves when exposed to light
Big-eyed bugs look similar to chinch bugs but are a different species. Big-eyed bugs have much larger, prominent eyes and wider heads. These insects prey on chinch bugs, so correct identification matters.
Hairy Chinch Bug Behavior and Biology
Hairy chinch bugs feed by inserting their needle-like mouthparts into grass blades and stems. They suck out plant fluids while injecting saliva that contains enzymes and toxins. These toxic compounds block water flow inside the plant. The grass turns yellow, wilts, and dies. Damaged grass does not recover because the plant tissue is destroyed.
These insects strongly prefer sunny, warm spots. They gather near surfaces that reflect heat, like driveways, sidewalks, patios, and foundations. South-facing slopes and lawns with thin turf or thick thatch are ideal spots for them. Shaded areas rarely suffer major chinch bug damage.
Life Cycle
Adult hairy chinch bugs survive winter by hiding in sheltered spots. They hide under leaf litter, in dense grass at lawn edges, in ground covers, and around foundations. When soil temps warm to about 50 degrees Fahrenheit in spring, adults come out and start feeding on new grass.
Mating occurs in late spring. Each female can lay 200 to 300 eggs over several weeks. She places eggs one at a time in soil cracks near grass crowns or inside leaf sheaths. In warm weather, eggs hatch in about two weeks. A related species, Boxelder Bug Nymphs, shares similar characteristics.
Nymphs begin feeding right after hatching. They go through five growth stages over 30 to 60 days, depending on the temperature. Hot weather speeds up their growth. Adults from the first batch appear in mid-summer and start reproducing right away. A related species, Stilt Bugs, shares similar characteristics.
In most of the hairy chinch bug’s range, two generations occur each year. The first generation causes damage in June and July. The second generation feeds heavily in August and early September before adults seek overwintering sites. The southern chinch bug follows a different pattern, producing up to 10 generations per year in warm climates. When late summer remains warm, a partial third generation may develop.
Habitat Preferences
Hairy chinch bugs prefer cool-season lawn grasses. Kentucky bluegrass gets damaged the most. Perennial ryegrass and fine fescues also draw heavy feeding. Tall fescue holds up better than other cool-season grasses.
Thatch buildup has a big effect on chinch bug numbers. Thatch is the layer of dead grass stems and roots between green grass and soil. When thatch gets more than half an inch thick, it creates a perfect home for chinch bugs. The spongy material shields them from heat, cold, predators, and treatments. Chinch bugs hide in thatch during the day and come out to feed in the cooler evening hours.
Lawns stressed by drought suffer the worst damage. When grass is already weak from lack of water, chinch bug feeding makes it decline fast. Healthy, well-watered turf can handle low to moderate chinch bug numbers without showing obvious damage.
Treatment Methods for Hairy Chinch Bugs
Effective chinch bug management combines proper lawn care with monitoring and targeted treatments when necessary.
Cultural Management Practices
-
Mowing height: Keep grass at 3 to 3.5 inches tall. Taller grass shades the soil and makes conditions less friendly for chinch bugs.
-
Thatch management: Core aerate once a year and avoid over-fertilizing with nitrogen. Keep thatch under half an inch thick. Dethatch if buildup gets severe.
-
Proper watering: Water deeply but not too often. Give your lawn about 1 inch per week during dry spells. Deep watering helps roots grow deep and keeps grass healthier. Avoid light, frequent watering that keeps the thatch layer moist.
-
Balanced fertilization: Apply nitrogen fertilizer in fall, not summer. Heavy summer nitrogen makes grass grow lush and soft, which chinch bugs love.
-
Overseed with resistant varieties: When fixing damaged areas, choose endophyte-enhanced perennial ryegrass or tall fescue. These grasses contain fungi that make natural insect-killing compounds.
Monitoring Your Lawn
Regular checks catch problems before damage gets bad. Look at sunny lawn areas each week during June, July, and August. Pay close attention to areas near pavement, south-facing slopes, and spots that dried out in past summers.
The flotation test gives reliable population counts. Push an open-ended can (like a coffee can) 2 to 3 inches into the turf at the edge of damaged grass. Fill the can with water and keep it full for 10 minutes. Chinch bugs will float to the surface so you can count them.
When to treat depends on your lawn’s health and how much damage you will accept. Most lawn pros suggest treatment when numbers go above 20 to 25 chinch bugs per square foot. Lawns stressed by drought, compaction, or other issues may need treatment at lower numbers.
Chemical Treatment Options
When populations get too high, insecticides can give good control. Several approaches work well:
-
Granular products: Applied with a broadcast spreader and watered in lightly. Granules settle into the thatch layer where chinch bugs hide.
-
Liquid applications: Sprayed over the lawn surface. Light watering before treatment brings chinch bugs to the surface where they touch the product.
-
Spot treatments: Treating only damaged areas and a buffer zone uses less pesticide while still controlling the problem.
Timing matters a lot for treatment success. Products work best against young nymphs, which are easier to kill than adults. Treating in early summer when first-generation nymphs are small gives better results than waiting until populations grow large.
Other Control Factors
Several insects and organisms feed on chinch bugs and can help reduce their numbers. Big-eyed bugs (Geocoris species) are the most common. They eat chinch bug eggs, nymphs, and adults. Ground beetles, ants, and parasitic wasps also prey on chinch bugs. A fungus called Beauveria bassiana infects and kills chinch bugs in moist conditions.
Targeted spot treatments work well for chinch bug control while limiting impact on the rest of the lawn. Broad-spectrum applications across the entire lawn may affect predator populations. When possible, focus treatments on damaged areas and their borders.
References
Other Plant Bugs
Explore other species in the plant bugs family
Commonly Confused With
Hairy Chinch Bug are often mistaken for these similar pests
Where Hairy Chinch Bug Are Found
Hover over states to see their names. Green regions indicate where hairy chinch bug have been reported.
Common Questions about Hairy Chinch Bug
What is the difference between hairy chinch bugs and regular chinch bugs?
+
The hairy chinch bug is a subspecies of the common chinch bug, specifically adapted to cooler climates in the northeastern US and southern Canada. It gets its name from the fine hairs covering its body. While both types cause similar lawn damage, hairy chinch bugs primarily attack cool-season grasses like Kentucky bluegrass and fine fescues, whereas southern chinch bugs prefer St. Augustine grass.
How do I know if hairy chinch bugs are damaging my lawn?
+
Look for irregular yellow or brown patches in sunny areas of your lawn, especially near driveways, sidewalks, or foundations. These patches expand outward over time and may look drought-stressed even after watering. To confirm, part the grass at the edge of a damaged area and look for small black insects with white wings near the soil surface.
When are hairy chinch bugs most active?
+
Hairy chinch bugs are most active during hot, dry weather from June through August. They thrive when temperatures exceed 70 degrees Fahrenheit. In the northeastern US, there are typically two generations per year, with damage appearing in early summer and again in late summer.
Do hairy chinch bugs bite people?
+
No, hairy chinch bugs do not bite humans or pets. Their piercing-sucking mouthparts are designed specifically for feeding on grass sap. While they can become a nuisance when they crawl onto patios or occasionally enter homes, they pose no direct health risk to people.
What grass types are resistant to hairy chinch bugs?
+
Endophyte-enhanced varieties of perennial ryegrass, fine fescue, and tall fescue show good resistance to hairy chinch bug feeding. These grasses contain fungi that produce compounds toxic to chinch bugs. Tall fescue in general is more tolerant than Kentucky bluegrass.
How can I test my lawn for hairy chinch bugs?
+
Use the coffee can flotation test: remove both ends of a coffee can, push it 2-3 inches into the soil at the edge of a damaged area, fill with water, and wait 10 minutes. Chinch bugs will float to the surface where you can count them. Finding 20 or more bugs per square foot indicates a significant infestation.
Will regular watering prevent hairy chinch bug damage?
+
Proper watering helps keep grass healthy and more resilient to chinch bug feeding, but it will not eliminate an established infestation. Hairy chinch bugs prefer hot, dry conditions, so maintaining adequate soil moisture can make your lawn less attractive to them and help grass recover from minor damage.
With five years of hands-on experience in the pest control industry, George Schulz is a registered technician with the Virginia Pest Management Association and a proud third-generation professional in a family business that's been protecting homes for over 57 years. He manages and trains a team of service pros while also leading internal research efforts—recently spearheading a deep-dive review of thousands of documents on pest control materials to hand-pick the most kid and pet friendly, most effective solutions tailored specifically for homes in the DC metro area.


