Parasitic Wasps Identification Guide
Ichneumonidae and Braconidae (Families)
Parasitic wasps are helpful insects that control pest populations naturally. These tiny wasps lay eggs inside or on pest insects, providing natural pest control without stinging humans.
Taxonomy
Parasitic Wasps Coloration
Common color patterns to help identify parasitic wasps
Parasitic Wasps
Seasonal Activity
When parasitic wasps are most active throughout the year
Where Parasitic Wasps Are Found
Hover over states to see their names. Green regions indicate where parasitic wasps have been reported.
Parasitic Wasp Identification Guide
Physical Characteristics
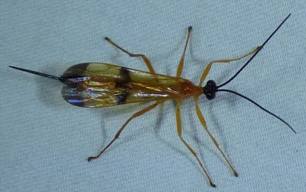
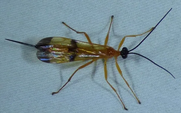
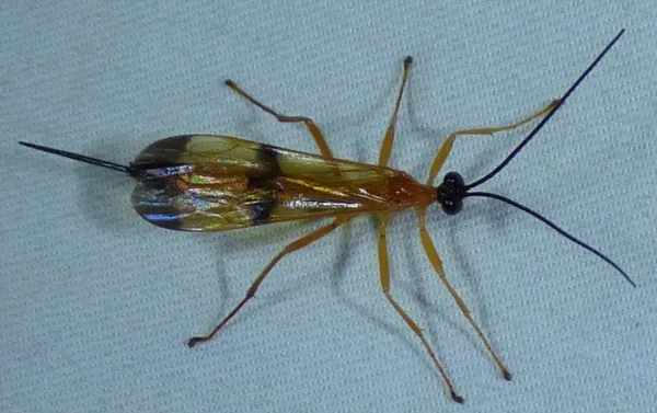
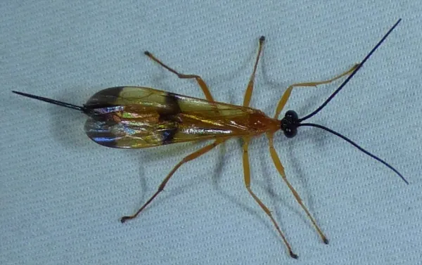
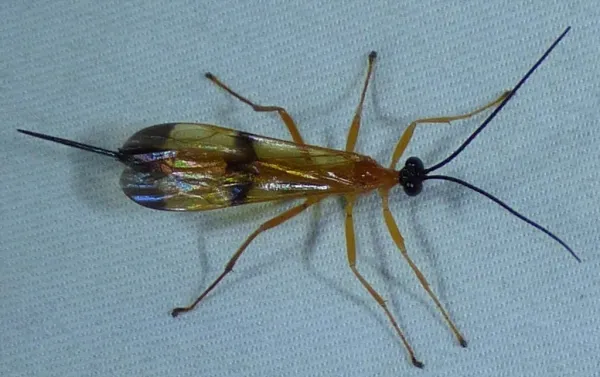
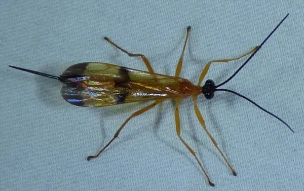
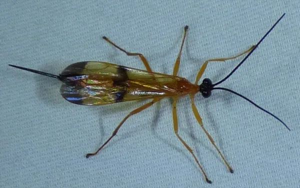
Parasitic wasps are a diverse group with over 80,000 known species worldwide. They vary greatly in size. The smallest chalcid wasps measure less than 1 millimeter. Giant ichneumon wasps can reach 3 inches or more, including their egg-laying organ. Most species homeowners see are about one-quarter inch to one inch long.
These wasps share several features despite their variety. Most have slender bodies with a narrow waist between the thorax and abdomen. They have long, thread-like antennae with many segments. Females have an ovipositor, a tube-like organ used to lay eggs. This structure extends from the abdomen. In giant ichneumons, it can be longer than the body itself and trails behind like a tail.
Colors vary widely among species. Many are black or brown with yellow, orange, or red markings. Some have a metallic blue, green, or copper shine. Unlike social wasps, parasitic wasps lack the bold black and yellow stripes you might expect from stinging wasps.
Common Species
Several families of parasitic wasps live throughout North America:
-
Ichneumon Wasps (Ichneumonidae): The largest family with over 60,000 species worldwide. Many attack caterpillars, beetle larvae, and other insects. Giant ichneumon wasps drill through wood to reach beetle larvae hidden inside.
-
Braconid Wasps (Braconidae): Smaller than ichneumonids but just as helpful for pest control. You may see species that attack tomato hornworms. They leave visible white cocoons on the caterpillar’s body.
-
Chalcid Wasps (Chalcidoidea): Tiny wasps often less than 3 millimeters long. This group includes Trichogramma wasps used in farming to control moth pests. Many attack insect eggs.
-
Aphid Wasps (Aphidiinae): Small braconid wasps that target aphids. Aphids killed by these wasps appear swollen and brown. Gardeners call them “mummies.”
Parasitic Wasp Behavior and Biology
Scientists call these wasps “parasitoids” because they eventually kill their hosts. This sets them apart from true parasites that keep hosts alive. Adult wasps live peaceful lives, feeding on nectar, pollen, and honeydew. The deadly phase happens during the larval stage. Young wasps eat their host from the inside out.
Host Selection and Egg-Laying
Female parasitic wasps have amazing abilities to find hosts. They can detect scents from damaged plants being eaten by caterpillars. Some species feel vibrations from larvae feeding inside stems or wood. Others track the smell of host insect droppings.
Once a host is found, the female uses her ovipositor to lay eggs. Eggs may be placed inside the host insect, on its body, or near where it feeds. Giant ichneumon wasps can drill through several inches of wood to reach beetle larvae hidden in tree trunks.
Larval Development
The wasp larva hatches and begins feeding on its host. Internal parasites eat the host’s tissues while keeping it alive. The host dies only when the wasp larvae finish growing. External parasites attach to the outside of the host and feed from there.
Some parasitic wasps are gregarious. This means many wasps develop inside a single host. A tomato hornworm can host dozens of braconid wasp larvae at once. When ready to pupate, these larvae emerge and spin white cocoons on the caterpillar’s back. This creates the striking look often seen in garden photos.
Seasonal Activity
Parasitic wasps are active during warm months when host insects are present. Activity starts in spring as temperatures rise and pest populations grow. Peak activity matches peak pest activity, usually from late spring through early fall. Many species produce several generations per year.
Adults need nectar for energy. You can often see them visiting flowers with small, shallow blooms. Plants in the carrot family (like dill and fennel) and cabbage family are especially attractive to these wasps.
The Role of Parasitic Wasps in Pest Control
Parasitic wasps may be the most important natural pest controllers available to gardeners and farmers. They keep pest insect populations in check without any human help. Research shows parasitic wasps attack over 200 species of pest moths and butterflies alone.
Natural Pest Control
A single female wasp can attack dozens or hundreds of pest insects in her lifetime. When wasp populations are healthy, they can stop pest outbreaks before major damage occurs.
Common garden pests controlled by parasitic wasps include:
- Tomato and tobacco hornworms
- Cabbage loopers and imported cabbageworms
- Armyworms and cutworms
- Aphids on many crops
- Beetle larvae including wood borers
- Scale insects on trees and shrubs
- Whiteflies in greenhouses
Commercial Use
Several parasitic wasp species are raised and sold for pest control. Trichogramma wasps are released by the millions to control moth pests in farm fields and orchards. Aphidius wasps are used in greenhouses to manage aphids. The samurai wasp (Trissolcus japonicus) has shown promise against the brown marmorated stink bug. Studies show it can parasitize up to 90% of stink bug eggs.
Reducing Pesticide Use
When parasitic wasp populations are strong, they can reduce or replace the need for insecticides against many pests. This helps the environment and saves money. Unlike chemical treatments, natural pest control keeps working on its own once established.
Supporting Parasitic Wasps in Your Landscape
These wasps provide valuable pest control services. Encouraging them makes sense for any gardener or homeowner. Several simple practices help support healthy parasitic wasp populations.
Provide Nectar Sources
Adult parasitic wasps need nectar for energy. Plant flowers with small, shallow blooms to feed these tiny insects. Good choices include:
- Herbs like dill, fennel, cilantro, and parsley when they flower
- Sweet alyssum and other small-flowered ground covers
- Yarrow, Queen Anne’s lace, and other carrot family plants
- Mustard family plants in bloom
Be Careful with Pesticides
Parasitic wasps are very sensitive to insecticides. Broad-spectrum products kill helpful insects along with pests. If pest control is needed, choose targeted products and apply them carefully. Avoiding routine spraying helps preserve the helpful insect community.
Allow Some Pests to Remain
Parasitic wasp populations need host insects to survive. Having zero pests removes the food source these helpful insects need. Accepting minor pest presence allows parasitic wasps to stay and keep providing control.
Should You Be Concerned About Parasitic Wasps?
Parasitic wasps pose no threat to humans, pets, or property. Despite their sometimes scary look, they do not sting people. The long ovipositor on giant ichneumon wasps looks like a stinger but is only used for laying eggs. It cannot inject venom.
These wasps are not aggressive. They usually ignore humans completely. They do not build visible nests, form colonies, or defend territories like social wasps such as yellowjackets.
If you see parasitic wasps in your garden or yard, take it as a sign of a healthy ecosystem. These hardworking insects protect your plants from pests around the clock at no cost. The best response is simply to let them keep working.
References
Other Wasps
Explore other species in the wasps family
Commonly Confused With
Parasitic Wasps are often mistaken for these similar pests
Where Parasitic Wasps Are Found
Hover over states to see their names. Green regions indicate where parasitic wasps have been reported.
Common Questions about Parasitic Wasps
Do parasitic wasps sting humans?
+
No, parasitic wasps do not sting humans. Females have an ovipositor that looks like a stinger, but it is only used to lay eggs. These wasps are harmless to people and pets.
Are parasitic wasps helpful?
+
Yes, parasitic wasps are among the most helpful insects for natural pest control. They control caterpillars, aphids, beetles, flies, and many other pests without chemicals.
What are those white cocoons on caterpillars?
+
White rice-like cocoons on caterpillars are the pupae of braconid wasps. The wasp larvae grew inside the caterpillar and emerged to spin cocoons on its back. The caterpillar will die from this.
Should I kill parasitic wasps?
+
No, you should not kill parasitic wasps. They provide free, natural pest control for your garden. Having them around can reduce the need for pesticides.
How can I attract parasitic wasps to my garden?
+
Plant flowers with small, shallow blooms like dill, fennel, and yarrow. These provide nectar for adult wasps. Avoid broad-spectrum insecticides that kill helpful insects.
What do parasitic wasps look like?
+
Parasitic wasps range from nearly microscopic to over 3 inches long. Most have slender bodies with a narrow waist and long antennae. Females often have a visible egg-laying tube. Colors range from black and brown to yellow, orange, and metallic blue.
How do parasitic wasps find their hosts?
+
Parasitic wasps use smell, vibrations, and sight to find hosts. They can detect scents from damaged plants being eaten by caterpillars. Some can even sense larvae moving inside wood or stems.
With five years of hands-on experience in the pest control industry, George Schulz is a registered technician with the Virginia Pest Management Association and a proud third-generation professional in a family business that's been protecting homes for over 57 years. He manages and trains a team of service pros while also leading internal research efforts—recently spearheading a deep-dive review of thousands of documents on pest control materials to hand-pick the most kid and pet friendly, most effective solutions tailored specifically for homes in the DC metro area.



