Non-Biting Midges Identification Guide
Chironomidae (Family)
Non-biting midges are small, mosquito-like flies that do not bite humans. They emerge in large swarms near lakes, ponds, and other water sources and can become a significant nuisance around homes.
Taxonomy
Non-Biting Midges Coloration
Common color patterns to help identify non-biting midges
Non-Biting Midges
Seasonal Activity
When non-biting midges are most active throughout the year
Where Non-Biting Midges Are Found
Hover over states to see their names. Green regions indicate where non-biting midges have been reported.
Non-Biting Midge Identification Guide
Physical Characteristics
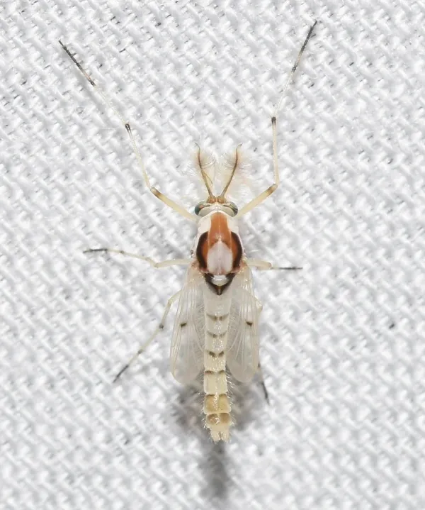
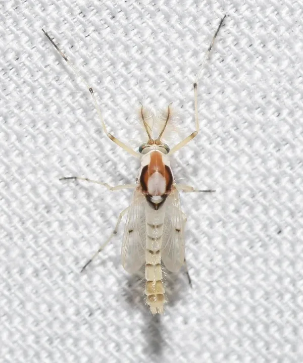
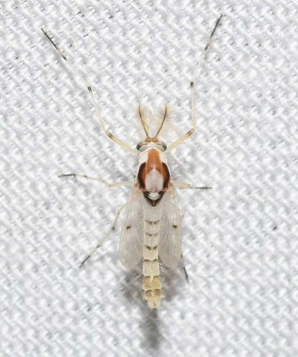
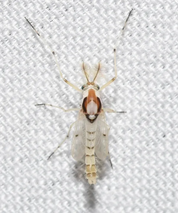
Non-biting midges are small flies that look like mosquitoes but cannot bite. Adults measure 1 to 10 millimeters long. Most species are less than 6 millimeters. Their thin bodies and long legs make them look like mosquitoes. This often leads people to mistake them for mosquitoes.
The easiest way to identify midges is by their antennae. Males have feathery antennae that look like small bottle brushes. Female antennae are simpler but still have visible segments. Unlike mosquitoes, midges have very small mouthparts and cannot pierce skin. They should not be confused with sand flies (biting midges), which do bite and belong to a different family.
Non-biting midges come in many colors. They can be gray, black, tan, green, or yellow. Some have banded or striped patterns. Their wings are shorter than their body. Mosquito wings extend past the body. When resting, midges raise their front legs. Mosquitoes do not do this. Crane flies are another insect often mistaken for large mosquitoes, but they are harmless and much bigger than midges.
Common Species
The Chironomidae family has over 20,000 species worldwide. About 2,000 species live in North America. Some common types include:
-
Chironomus species: These midges produce “bloodworm” larvae. The larvae are red because they contain hemoglobin. You often find them near lakes and ponds with lots of nutrients.
-
Tanytarsus species: These are smaller midges. They are common around lakes and ponds across North America.
-
Cricotopus species: These midges live near streams and rivers. Scientists use them to measure water quality.
Non-Biting Midge Behavior and Biology
Non-biting midges go through four life stages: egg, larva, pupa, and adult. Females lay jelly-like egg masses on the water surface. Each mass can hold hundreds to over 1,000 eggs. The eggs sink to the bottom and hatch in a few days to one week.
Larval Stage A related species, House Flies, shares similar characteristics.
The larval stage is the longest part of the midge life cycle. It lasts 2 to 7 weeks based on water temperature and food supply. Larvae live in mud at the bottom of lakes, ponds, and streams. They build small tubes from mud and organic matter where they live and eat. A related species, Coffin Flies, shares similar characteristics.
Many midge larvae are called “bloodworms” because they are bright red. This color comes from hemoglobin, the same protein that makes human blood red. The hemoglobin helps larvae survive in water with low oxygen. Larvae eat decaying plants, algae, and bacteria in the mud. A related species, Cheese Skipper Flies, shares similar characteristics.
Pupal Stage and Adult Emergence
After the larval stage, midges form pupae inside their tubes. The pupal stage lasts about three days. Pupae then swim to the water surface where adults emerge within hours. Often thousands of adults emerge at the same time.
Adult midges live only 3 to 5 days. They do not eat, though some may drink small amounts of nectar. Their only job is to reproduce. Males form large mating swarms that look like clouds of insects. You can see these swarms hovering over water or near plants. Females fly into these swarms to mate, then return to the water to lay eggs.
Seasonal Activity
In warm climates, midges can complete their life cycle in 2 to 3 weeks during summer. This allows several generations per year. In the mid-Atlantic region, midge activity peaks from late spring through early fall. Fall larvae often survive winter in bottom mud and emerge the following spring.
Weather affects midge activity. Temperature, humidity, air pressure, and wind speed all change when midges emerge. Calm, humid evenings during warm weather produce the largest swarms.
Ecological Importance
Non-biting midges are important to aquatic ecosystems, even though they annoy homeowners. Their larvae are a key food source for freshwater fish like trout and bass. Larvae also feed dragonfly nymphs, diving beetles, and water bugs.
Adult midges are food for birds, bats, and other animals. Swallows, purple martins, and bats eat large numbers of adult midges when they emerge. Midges connect aquatic and land-based food chains.
Midge larvae also help clean lakes and ponds. They eat and break down decaying organic matter on the bottom. This recycles nutrients through the ecosystem. In polluted water, midges may be the only insects that survive. This makes them useful for measuring water quality.
Treatment Methods for Non-Biting Midges
Non-biting midges breed in natural water like lakes and ponds, not in homes. This makes traditional pest control less effective. The goal is to reduce the number of adults near your home and make your property less attractive to them.
Lighting Changes
Non-biting midges are drawn to standard light bulbs and metal halide lights. Switch to yellow “bug lights” or LED lights to reduce the number of midges at night. Place outdoor lights away from doors and windows. Motion-activated lights that stay off most of the time also help.
Keeping Midges Out
Good window and door screens are key to keeping midges out of your home. Check screens often for holes or tears, especially before warm weather starts. Weather stripping around doors and windows stops midges from getting through gaps.
Reducing Habitat
If you live near a lake or pond, some lawn care changes may help reduce midges. Using less fertilizer limits the nutrients that feed midge larvae. Keep in mind that midges can fly long distances. Breeding sites in nearby water will keep producing adults.
Tracking Activity
Learn when midge populations peak in your area. This helps you plan ahead. Keep notes on when swarms are worst and adjust outdoor time around that. Peak activity usually happens at dawn and dusk on calm evenings.
Getting Help
For help telling midges apart from mosquitoes and other small flying insects, read our comparison of gnats vs mosquitoes. If midges cause major problems around your property, a pest professional can help. They can find the main breeding sources and suggest the best approach. For homes near large lakes, the whole community may need to work together for real results.
References
Other Flies
Explore other species in the flies family
Commonly Confused With
Non-Biting Midges are often mistaken for these similar pests
Where Non-Biting Midges Are Found
Hover over states to see their names. Green regions indicate where non-biting midges have been reported.
Common Questions about Non-Biting Midges
Are non-biting midges the same as mosquitoes?
+
No, non-biting midges are different from mosquitoes. While they look similar, midges lack the piercing mouthparts that mosquitoes use to bite. Midges have nonfunctional mouth parts and cannot bite humans or animals. You can distinguish them by their feathery antennae and the way they hold their front legs raised at rest.
Why are there so many midges around my home?
+
Non-biting midges breed in standing water such as lakes, ponds, retention basins, and slow-moving streams. Homes near these water sources often experience large midge populations, especially during warm months. Adults are strongly attracted to lights at night, which draws them to homes.
Do non-biting midges cause any harm?
+
Non-biting midges do not bite or transmit diseases to humans. However, they can be a significant nuisance when they swarm in large numbers. Their dead bodies and shed skins can accumulate on surfaces and may trigger allergic reactions in sensitive individuals.
What are bloodworms and how are they related to midges?
+
Bloodworms are the larvae of certain non-biting midge species. They get their red color from hemoglobin in their blood, which helps them survive in low-oxygen environments at the bottom of lakes and ponds. Bloodworms are commonly sold as fish food and are an important food source for aquatic life.
How long do non-biting midges live?
+
Adult non-biting midges live only 3 to 5 days. They do not feed as adults and exist primarily to mate and reproduce. Despite their short lifespan, their rapid reproduction and large population numbers can result in persistent swarms throughout the warm season.
When are midges most active?
+
Non-biting midges are most active during the warm months from spring through fall. They typically emerge in large numbers at dawn and dusk and are strongly attracted to lights at night. Activity peaks during calm, humid evenings near water sources.
Can I get rid of midges around my home?
+
Completely eliminating non-biting midges is difficult when breeding sites like lakes or ponds are nearby. However, you can reduce their presence by using yellow or LED lights that are less attractive to them, keeping windows and doors closed during peak activity times, and ensuring window screens are intact.
Are midges good for anything?
+
Yes, non-biting midges play an important ecological role. Their larvae help clean aquatic environments by consuming decaying organic matter. Both larvae and adults serve as a crucial food source for fish, birds, bats, and other wildlife. They are indicators of water quality and ecosystem health.
With five years of hands-on experience in the pest control industry, George Schulz is a registered technician with the Virginia Pest Management Association and a proud third-generation professional in a family business that's been protecting homes for over 57 years. He manages and trains a team of service pros while also leading internal research efforts—recently spearheading a deep-dive review of thousands of documents on pest control materials to hand-pick the most kid and pet friendly, most effective solutions tailored specifically for homes in the DC metro area.



