Woolly Aphids Identification Guide
Eriosomatinae
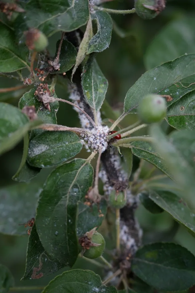
Woolly aphids are sap-feeding insects recognized by the white, cotton-like waxy filaments that cover their bodies and colonies. They infest trees and shrubs throughout North America, producing honeydew and sometimes forming galls on roots and branches.
Taxonomy
Woolly Aphids Coloration
Common color patterns to help identify woolly aphids
Woolly Aphids
Seasonal Activity
When woolly aphids are most active throughout the year
Where Woolly Aphids Are Found
Hover over states to see their names. Green regions indicate where woolly aphids have been reported.
Woolly Aphid Identification Guide
Physical Characteristics
Woolly aphids are small, soft-bodied insects that measure 1 to 3 millimeters long. You can spot them by the white, cotton-like waxy coating that covers their bodies. This coating forms fluffy white masses on trees and shrubs that are hard to miss. Under the wax, their body color varies by species. It can be bluish-gray, brown, reddish-brown, or nearly black. Like all aphids, they have six legs, a pair of antennae, and small tube-like structures called cornicles on their abdomen. These features are often hidden under the wax.
Some woolly aphids develop wings during certain seasons. These winged forms have clear wings and can fly short distances. People sometimes spot them drifting through the air trailing their waxy threads, which has earned them nicknames like “fluff bugs” and “snow bugs.” Colonies tend to cluster in bark cracks, pruning wounds, branch joints, leaf undersides, or on roots.
Common Species
Several woolly aphid species are found across North America:
- Woolly apple aphid (Eriosoma lanigerum) infests apple and pome fruit trees. It forms colonies on branches and roots. Root-feeding colonies can cause galls that stunt tree growth. Found in apple-growing regions across the U.S. and Canada.
- Woolly alder aphid (Prociphilus tessellatus), also called the maple blight aphid, moves between silver maple and alder trees. Common in the Midwest and eastern states, where dense white colonies form on alder branches.
- Woolly elm aphid (Eriosoma americanum) feeds on American elm, causing leaf curling in spring before moving to other hosts. Widespread across the eastern United States.
- Woolly beech aphid (Phyllaphis fagi) infests European beech trees. It forms white woolly colonies on the undersides of leaves. Common in the Northeast where ornamental beech is planted.
- Beech blight aphid (Grylloprociphilus imbricator) is sometimes called the “boogie-woogie aphid” because colonies dance in unison when disturbed. Found on American beech across eastern North America.
Woolly Aphid Behavior and Biology
Woolly aphids feed on plant sap. They insert their needle-like mouthparts into stems, branches, and roots to reach the sugary fluid inside. As they feed, they release a sticky waste called honeydew. This honeydew builds up on leaves and surfaces below the colony. Over time, it often leads to sooty mold, a black fungal coating that looks bad but does not directly harm the plant.
Many woolly aphid species move between different host plants throughout the year. For example, the woolly elm aphid spends spring on elm leaves. It then produces winged forms that fly to a summer host before returning to elm in the fall to lay eggs. Some species, like the woolly apple aphid in mild climates, may stay on one host year-round.
These insects reproduce quickly. Females give live birth to clones of themselves without mating. This lets colonies grow fast during warm months, with several generations per season. Some species spend the winter as eggs tucked into bark cracks. Others survive as nymphs on roots or in sheltered spots. Winged forms appear at certain times of year to spread to new plants.
The white waxy threads that give woolly aphids their name come from glands on their abdomen. This wax shields them from weather and other threats. Ants are often found near woolly aphid colonies because they feed on the honeydew. In return, the ants may guard the aphids.
Treatment Methods for Woolly Aphids
When woolly aphid colonies grow large enough to cause concern, several treatment methods can reduce their numbers:
- Water spray: A strong blast of water from a garden hose can knock woolly aphid colonies off branches. This works well for small infestations on plants you can easily reach.
- Pruning: Cutting back heavily infested shoots, suckers, or branches removes large portions of the colony. Throw away the pruned material away from the tree.
- Horticultural oils and insecticidal soaps: These contact treatments work well when sprayed right onto the colonies. Good coverage is key to get through the waxy coating.
- Targeted insecticide treatments: For heavy or lasting infestations, targeted treatments can bring populations under control. A pest control professional can pick the right product and method for the job.
- Resistant rootstocks: In apple orchards, planting trees on rootstocks that resist woolly apple aphid (such as M.106 or M.111) helps prevent root gall problems.
For young trees or orchard settings, prompt treatment is especially important. Woolly apple aphids that feed on roots can cause galls that weaken the tree over time. On mature landscape trees, the damage is mostly cosmetic, but heavy honeydew and sooty mold buildup can still be a nuisance worth addressing.
References
Other Garden Pests
Explore other species in the garden pests family
Commonly Confused With
Woolly Aphids are often mistaken for these similar pests
Where Woolly Aphids Are Found
Hover over states to see their names. Green regions indicate where woolly aphids have been reported.
Common Questions about Woolly Aphids
What are woolly aphids?
+
Woolly aphids are small sap-feeding insects in the subfamily Eriosomatinae that produce white, waxy filaments resembling cotton or wool. Several species are common across North America, and they feed on a variety of trees and shrubs including apple, alder, elm, and beech.
Are woolly aphids harmful to trees?
+
Most woolly aphid species cause primarily cosmetic damage to mature landscape trees, including honeydew deposits and sooty mold. However, woolly apple aphids can form galls on roots and branches of apple trees, which may stunt growth or reduce fruit production in orchard settings.
What does woolly aphid damage look like?
+
Look for white, fluffy masses on branches, twigs, bark crevices, or leaf undersides. You may also notice sticky honeydew residue on surfaces beneath infested areas, followed by black sooty mold growth. On apple trees, swollen galls may appear at pruning wounds or root junctions.
Do woolly aphids fly?
+
Yes, woolly aphids produce winged forms during certain times of year for dispersal. These alates are sometimes described as tiny flying fuzz balls because the waxy filaments trail behind them in flight. Most individuals in a colony remain wingless.
Will woolly aphids go away on their own?
+
Woolly aphid populations often decline on their own by late fall as temperatures drop. However, heavy infestations may need direct treatment to prevent ongoing damage to trees and shrubs.
How can I get rid of woolly aphids?
+
For light infestations, spray colonies off branches with a strong blast of water from a garden hose. Pruning heavily infested branches also helps. For more serious problems, horticultural oil or insecticidal soap sprays work well when applied thoroughly to reach through the waxy covering.
What is the white fuzzy stuff on my tree branches?
+
White fuzzy or cottony masses on tree branches are most commonly woolly aphids. The white material is a waxy substance secreted by the aphids to protect themselves from predators and the elements. Parting the waxy covering reveals small, soft-bodied insects underneath.
With five years of hands-on experience in the pest control industry, George Schulz is a registered technician with the Virginia Pest Management Association and a proud third-generation professional in a family business that's been protecting homes for over 57 years. He manages and trains a team of service pros while also leading internal research efforts—recently spearheading a deep-dive review of thousands of documents on pest control materials to hand-pick the most kid and pet friendly, most effective solutions tailored specifically for homes in the DC metro area.



